Boletín Oficial de la Comunidad de Madrid - Núm 32

Fecha del Boletín 
07-02-2020

Sección 3.10.20L: III. ADMINISTRACIÓN LOCAL AYUNTAMIENTOS


Código de Verificación Electrónica (CVE): BOCM-20200207-28

Páginas: 25


III. ADMINISTRACIÓN LOCAL

AYUNTAMIENTO DE LOS MOLINOS

URBANISMO

28
Los Molinos. Urbanismo. Modificación Puntual Normas Subsidiarias

Mediante el presente edicto se hace público lo siguiente:

Primero.—Que por Orden 1802/2019, de 23 de diciembre, de la Consejería de Medio Ambiente, Ordenación del Territorio y Sostenibilidad, se aprueba definitivamente la Modificación Puntual número 1/2015 de las Normas Subsidiarias de Planeamiento Municipal de Los Molinos en el ámbito de El Balcón de la Peñota. Asimismo, se acuerda su publicación en el BOLETÍN OFICIAL DE LA COMUNIDAD DE MADRID, lo que así se efectúa mediante anuncio publicado en el número 13, el 16 de enero de 2020.

Segundo.—Que en cumplimiento de lo dispuesto en el artículo 66.1.b) de la Ley 9/2001, del Suelo de la Comunidad de Madrid, en relación con el artículo 70.2 de la Ley 7/1985, Reguladora de las Bases del Régimen Local, se hace público el contenido íntegro de la parte de planeamiento que exige la legislación de régimen local.

Es por lo que mediante el presente se procede a dar cumplimiento al mismo.

Contenido de la modificación:

«1. MEMORIA

1.1. Antecedentes

En abril de 2014, se confecciona un primer documento de “Modificación Puntual Nº 1/2014. El Balcón de la Peñota. Abril 2014. Fase: Aprobación inicial”. Este documento no se llegó a presentar a aprobación al Pleno Municipal.

Posteriormente, se confecciona un nuevo documento modificando, en parte, el ámbito de actuación. Con fecha 1 de octubre de 2015 el Pleno Municipal acuerda la aprobación inicial de este documento de “Modificación Puntual Nº 1/2015 El Balcón de la Peñota Área Completa. Septiembre de 2015. Fase: Aprobación inicial”, sometiendo el mismo al trámite de información pública. Posteriormente, y como consecuencia del contenido del Documento de Evaluación Ambiental Estratégica recibido, se lleva a cabo la corrección del mencionado documento de Modificación Puntual, dando como resultado un nuevo documento denominado “Modificación Puntual Nº 1/2015 El Balcón de la Peñota (documento modificado). Septiembre de 2017. Fase: Aprobación inicial” que se vuelve a aprobar inicialmente el 27 de noviembre de 2017 por acuerdo del Pleno Municipal. En dicho Pleno también se acuerda volver a someter el documento aprobado a información pública y solicitar informe a los Órganos y Entidades competentes.

Con fecha 13 de febrero de 2019 el Pleno Municipal acuerda desestimar las alegaciones presentadas y la aprobación provisional del documento de “Modificación Puntual 1/2015 de las NN.SS. de 1991 Balcón de la Peñota (enero 2019) Fase: Aprobación provisional”.

Con fecha 10 de abril de 2019 se recibe Resolución del Director General de Urbanismo y Suelo de la Consejería de Medio Ambiente y Ordenación del Territorio, de fecha 5 de abril de 2019, por la que se devuelve el expediente enviado, requiriendo al Ayuntamiento de Los Molinos para que, en el plazo de tres meses, subsane los defectos observados en el documento de la Modificación Puntual y en el expediente.

En cuanto a los defectos observados en el documento de la Modificación Puntual son, en resumen, los siguientes:

Primero.—El documento carece de una memoria justificativa suficiente de la condición de suelo urbano consolidado. Igualmente debe comprender toda la información relevante para la adopción del modelo escogido y que el mismo se ha realizado en base al interés general. Debiéndose, además, incorporar al documento la Declaración Ambiental Estratégica.

(Se corrige en el apartado 1.2 de la Memoria y en ese sentido se incluye la Declaración Ambiental estratégica como Anexo 1, tal y como dispone el artículo 43.c) de la ley 9/2001, de 17 de julio, del Suelo de la Comunidad de Madrid).

Segundo.—El documento debe incorporar todas las determinaciones de los informes sectoriales recibidos.

(Se incorporan las determinaciones en el apartado 2.5 del capítulo 3. Ordenación y se incluyen íntegramente los mencionados informes en el Anexo 2)

Tercero.—El informe de la Dirección General de Telecomunicaciones de 15 de febrero de 2018, es favorable pero condicionado a la corrección de errores.

(Se ha corregido en el Estudio Ambiental Estratégico, en la página 9 del Anexo II Marco Legal, del Estudio Ambiental Estratégico).

Cuarto.—Con fecha 22 de marzo de 2015 se emite informe favorable de la Dirección General de Carreteras, en el cual se expone que se debe de incluir en la Modificación Puntual una propuesta de acceso a la urbanización desde la carretera M-622 no existiendo dicha propuesta.

Realizadas las anteriores correcciones, se ha dado una nueva versión al documento en cuanto que se ha estructurado posibilitando una mayor claridad y comprensión del mismo; al igual que se han realizado algunas correcciones y ampliaciones a la Memoria.

Todo ello ha tenido como consecuencia este nuevo texto de “Modificación Puntual Nº 1/2015 El Balcón de la Peñota. Corregida para aprobación provisional. Abril de 2019. Fase: Aprobación provisional”, debiéndose señalar que el mismo no contiene modificaciones sustanciales con respecto al aprobado por el Pleno Municipal el 13 de febrero de 2019.

Una vez que han sido observadas las condiciones fijadas por la Dirección General de Urbanismo y Suelo e incorporadas al documento, éste debe ser objeto de aprobación provisional por el Pleno Municipal.

1.2. Justificación de la procedencia de redacción de la Modificación Puntual

Actualmente en el municipio de Los Molinos coexisten dos planeamientos generales, por un lado, el Plan General de Ordenación Urbana de 1969 y por otro lado, en unas determinadas zonas, las Normas Subsidiarias de 1991. Dichas Normas Subsidiarias se han estado aplicando hasta el año 2004, con posterioridad y con fecha 10 de abril de 2013 la Comunidad de Madrid procede a su íntegra publicación en el BOLETÍN OFICIAL DE LA COMUNIDAD DE MADRID, en cumplimiento de sendas sentencias del Tribunal Superior de Justicia de Madrid, lo que implica la entrada en vigor de las mismas y su aplicación.

Esta entrada en vigor ha provocado que determinados terrenos, que con planeamientos anteriores tenían una clasificación de suelo urbano o suelo urbanizable, pasen a tener la clasificación de suelo no urbanizable protegido, lo que implica que, los desarrollos urbanísticos llevados a cabo al amparo de dichos planeamientos se encuentren en estos momentos en situación de fuera de ordenación al encontrarse edificados con viviendas unifamiliares o completamente urbanizados pero en terrenos con la clasificación de suelo no urbanizables, desde la citada publicación de la Normas Subsidiarias.

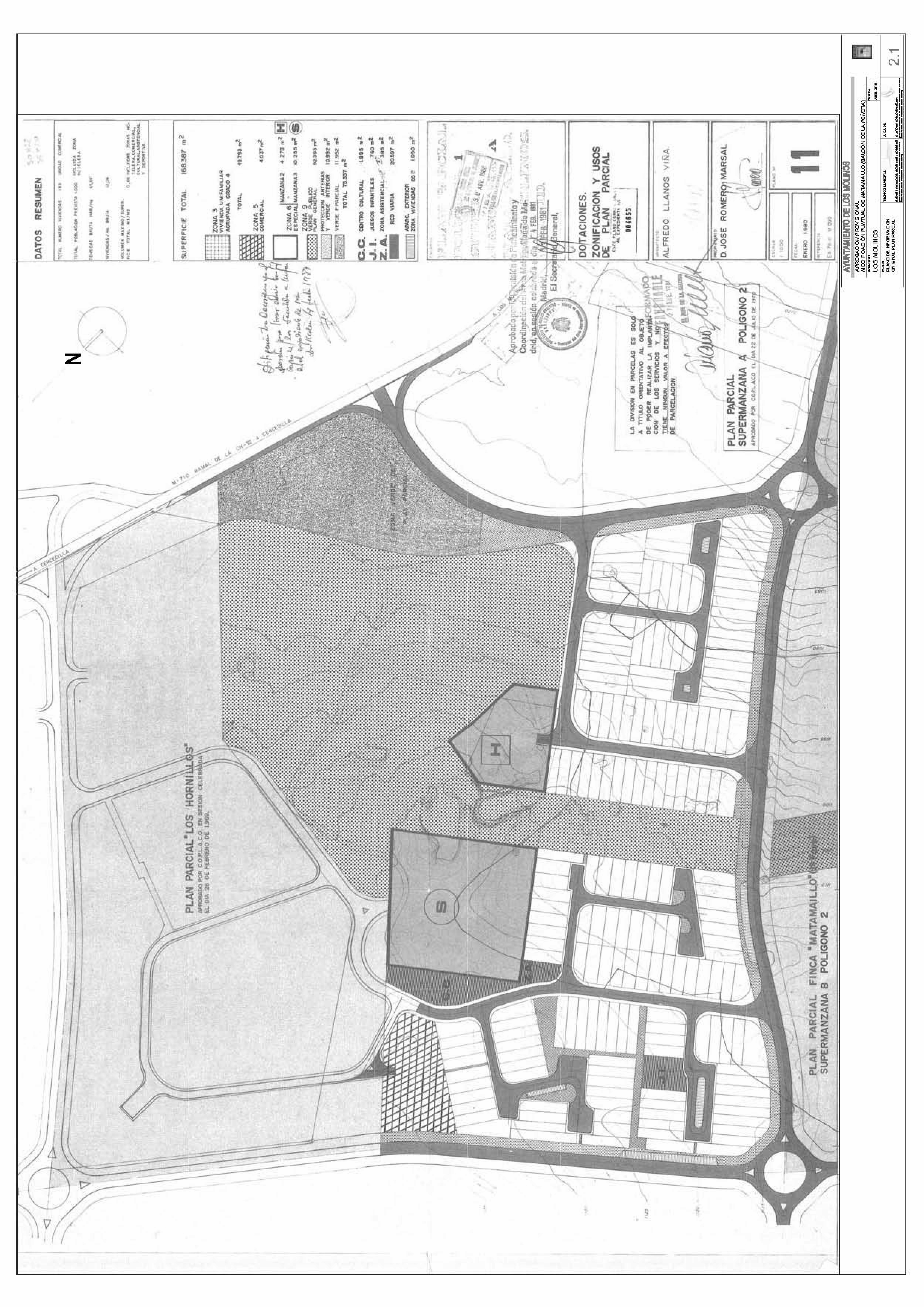
En concreto, parte de los terrenos que han quedado en situación de fuera de ordenación a la entrada en vigor de la Normas Subsidiarias de 1991 son los que conforman la que se denomina Urbanización Balcón de la Peñota, que consta de 178 parcelas para vivienda unifamiliar adosada, 98 de ellas edificadas (todas ellas ocupadas y en uso), una parcela para uso deportivo de los propietarios de la urbanización, una parcela asistencial, otra cultural, otra parcela para juegos infantiles, una zona de suelo verde de Plan General otra de suelo verde de Plan Parcial, una parcela hotelera y otra parcela comercial, con los viales pavimentados, las aceras pavimentadas y encintadas en su totalidad, además de disponer de todos los servicios urbanos, acometidas de agua, de electricidad y alcantarillado en la totalidad del área, formando esta parte de la trama urbana.

Estos terrenos fueron urbanizados en base al Plan General de 1969 y al Plan Parcial Matamaíllo (supermanzana A del polígono 1) que los desarrollan, el cual, fue aprobado inicialmente por el Pleno Municipal de 24 de mayo de 1979, disponiendo de aprobación provisional del mismo órgano de fecha 17 de noviembre de 1979 y con aprobación definitiva de la Comisión de Planeamiento de la Comunidad de Madrid (COPLACO ) de 4 de febrero de 1981.

La cronología de la ejecución de las obras de urbanización y de las obras de edificación ha sido la siguiente:

— El 14 de junio de 1990 se aprueba inicialmente por parte del Pleno Municipal el correspondiente proyecto de urbanización de estos terrenos.

— Con fecha 3 de julio de 1990 se concede licencia para construcción de 17 viviendas.

— Por parte de la Consejería de Política Territorial de la Comunidad de Madrid se procede a inscribir en el Registro de Entidades Urbanísticas Colaboradoras la Junta de Compensación el día 6 de julio de 1990.

— Con fecha 20 de febrero de 1992 se concede licencia para construcción de 25 viviendas.

— Con fecha 2 de septiembre de 1993 se concede licencia para construcción de 31 viviendas.

— Con fecha 2 de septiembre de 1993 se concede licencia para construcción de 3 viviendas.

— Con fecha 2 de septiembre de 1993 se concede licencia para construcción de edificio para club social.

— Con fecha 1 de agosto de 1995 se concede licencia de primera ocupación de 31 viviendas.

— Con fecha 13 de octubre de 1995 se concede licencia de primera ocupación de 31 viviendas.

— Con fecha 1 de febrero de 1996 se concede licencia de reparcelación.

— Con fecha 27 de diciembre de 1996 se concede licencia de primera ocupación para las viviendas sitas en las parcelas 57-58-59-60 y 60A.

— Con fecha 4 de noviembre de 1998 se concede licencia de obra mayor para realización de modificados.

— Con fecha 23 de noviembre de 2000 se concede licencia de primera ocupación del resto de las viviendas.

Asimismo, hay que exponer que los terrenos objetos de la presente modificación puntual son suelos urbanos en su totalidad, ya que cumplen lo establecido en el artículo 14.1.b de la Ley 9/2001 del Suelo de la Comunidad de Madrid por disponer de urbanización idónea para la edificación, con acceso rodado, abastecimiento de agua, evacuación de aguas residuales y suministro de energía eléctrica y alumbrado. Por todo lo cual, y en aplicación del artículo 14.2.a. de la Ley 9/2001, del Suelo de la Comunidad de Madrid, hay que considerar que dichos terrenos disponen de la clasificación de suelo urbano consolidado.

De todo lo expuesto anteriormente de deduce que tanto las parcelas edificadas como las no edificadas tienen la condición de solares, no precisando de obras de urbanización integradas ni de operaciones de equidistribución de beneficios y cargas, que ya se produjeron y materializaron en su día con la ejecución del Plan Parcial aprobado.

Son diversas las motivaciones en las que se basa esta Modificación Puntual, y todas ellas se sustentan en el interés general:

La motivación principal de esta modificación puntual viene dada por la necesidad de adaptar el planeamiento urbanístico a la realidad existente, es decir, toda vez que el suelo urbano es un concepto reglado limitativo de la potestad discrecional del planeamiento, se trataría responder a lo que el Tribunal Supremo, en múltiple jurisprudencia, ha denominado “la fuerza normativa de lo fáctico”. Como indica la Sentencia de este Tribunal de 8 de noviembre de 2011 “Desde tiempo atrás la legislación urbanística y la jurisprudencia han considerado el de suelo urbano como un concepto reglado limitativo de la potestad discrecional de planeamiento (…) que parte de la concurrencia de ciertas condiciones físicas tasadas (acceso rodado, energía eléctrica y suministro y evacuación de aguas, o, existencias de áreas ya edificadas en determinada proporción). Así se reguló en el artículo 78 del TRLS76 y 21 del RPU, y, posteriormente, en el artículo 8 de la LRSV, este último de carácter básico. Se basa, por tanto, en la feliz y ya clásica expresión de “la fuerza normativa de lo fáctico”, de tal manera que el planificador no puede clasificar como urbano el suelo que carezca de esos servicios urbanísticos, debiendo clasificarlo como tal en el caso de que los tenga.”

Por lo tanto este documento de Modificación Puntual no se lleva a cabo con la intención de legalizar obras de edificación o urbanización ejecutadas en tiempo anterior de forma irregular o ilegal, sino, con la intención de ajustar a la realidad física un ámbito que fue desarrollado de forma legal, en párrafos anteriores se reflejan todas las licencias concedidas legalmente en base a un planeamiento vigente, Plan General de 1969 y Plan Parcial “Matamaíllo”, y que a raíz de la entrada en vigor de otro planeamiento, como fueron las NN.SS. de 1991 que no recogían la realidad física del ámbito, quedó fuera de ordenación.

Se considera necesaria también esta modificación puntual, para hacer posible el destino de las cesiones realizadas en su día, con la citada ejecución del Plan Parcial, de los suelos de cesión obligatoria establecidos en el Plan Parcial “Matamaíllo”, zona verde de plan general, zona verde de plan parcial, zona cultural y docente, zona asistencial y sanitaria, parcela con elementos protegidos y viales, suelos que disponen de una superficie de 47.806,24 m2, y que con esta Modificación Puntual pasan a formar parte de los sistemas generales del municipio de una forma plena.

Finalmente, es de destacar que la presente Modificación Puntual adecua este suelo al modelo territorial que diseñó el Plan General de 1969, que se considera en este ámbito, que es el modelo adecuado.

La presente modificación puntual no requiere de avance de planeamiento, ya que en aplicación del artículo 56.2 de la Ley 9/2001 del Suelo de la Comunidad de Madrid dicho avance solo será preceptivo en caso de que la modificación puntual supere el 10% de la superficie afectada por el planeamiento a modificar, en este caso la superficie de terreno afectado por las Normas Subsidiarias y Complementarias de 1991 es de 320,07 hectáreas lo que supone que la presente modificación puntual no puede superar las 32,007 hectáreas y siendo el ámbito de ésta aproximadamente de 16 hectáreas, quedando justificado que el mencionado avance no es preceptivo.

La Declaración Ambiental Estratégica elaborada por la Dirección General de Medio Ambiente establece dos escenarios posibles en lo relativo a la clasificación urbanística actual de los suelos del ámbito de la Modificación Puntual, si bien, se pone de manifiesto que el establecimiento de las condiciones jurídico-urbanísticas del suelo no corresponden a la Dirección General de Medio Ambiente. Estas consideraciones son reflejo del informe que el Área de Conservación de Montes elabora al respecto desde el punto de vista de la entrada en vigor del PORN de la Sierra de Guadarrama, siendo los posibles escenarios los siguientes:

Primer escenario:

Que a la entrada en vigor del PORN los suelos tuviesen la clasificación de Suelo No Urbanizable Común.

La zona Norte, la ya edificada del ámbito, tendría la consideración de suelo urbano común en aplicación de la disposición transitoria 4.4.7.3 y el artículo 5.5 del Decreto 96/2009 de aprobación del PORN.

La zona SUR del ámbito, tendría la consideración de suelo no urbanizable protegido en aplicación del artículo 5.5 del Decreto 96/2009 de aprobación del PORN.

Tanto la zona verde y como la hotelera, tendrían la consideración de suelo urbano consolidado condicionado a llevar a cabo una reforestación, todo ello en aplicación del artículo 43 de la Ley 16/1995 Forestal de la CAM.

Segundo escenario:

Que a la entrada en vigor del PORN los suelos tuviesen la clasificación de Suelo Urnizable.

En cuanto a la zona Norte, ya edificada, no se hace mención alguna.

La zona SUR tendría la consideración de suelo urbano consolidado en base a los artículo 3 Y 4 de la Ley 16/1995 Forestal de la CAM, si bien, si no existiera planeamiento de desarrollo habría que adscribir dichos suelos a zonas verdes y espacios libres.

La zona verde y hotelera tendrían la consideración de suelo urbano consolidado.

Una vez reflejadas las diferentes opciones establecidas en el informe del Área de Conservación de Montes es necesario hacer las siguientes puntualizaciones:

Primero.—Que los terrenos objetos de la presente modificación puntual son suelos urbanos en su totalidad, ya que cumplen lo establecido en el artículo 14.b de la Ley 9/2001 del Suelo de la Comunidad de Madrid por disponer de urbanización idónea para la edificación, con acceso rodado, abastecimiento de agua, evacuación de aguas residuales y suministro de energía eléctrica y alumbrado.

Segundo.—Al no ser eficaces la Normas Subsidiarias de 1991, por la falta de publicación íntegra de las mismas, el planeamiento urbanístico de aplicación a la entrada en vigor de la Ley 9/1991, Forestal de la Comunidad de Madrid en el ámbito de la Modificación Puntual es el Plan General de 1969, aprobado con anterioridad a la entrada en vigor de la mencionada Ley 9/1991 por lo que, en aplicación de la disposición transitoria décima de dicha Ley, los terrenos del ámbito no pueden ser considerados en ningún momento monte preservado.

1.3. Objetivos

El objetivo de la presente modificación puntual es el cambio de clasificación de los terrenos que comprenden la urbanización el Balcón de la Peñota, pasando de suelo no urbanizable a suelo urbano consolidado.

Asimismo, se pretende dotar a dichos suelos de unas ordenanzas acordes con las ordenanzas aplicadas cuando fueron urbanizados.

1.4. Descripción y alcance

1.4.1. Descripción de las zonas afectadas.

Urbanización El Balcón de la Peñota. Se trata de unos terrenos ubicados al norte del municipio, en una ladera con orientación norte-sur situados entre la cota de nivel 1080 a la cota 1133. Dichos terrenos se encuentran totalmente urbanizados y en su mayor parte edificados, formando un conjunto de 178 parcelas, 98 de ellas edificadas con tipología de vivienda unifamiliar adosada. La urbanización también dispone, según el plan parcial que dio origen a su desarrollo denominado “Matamaíllo”, de una zona deportiva donde se ubican la piscina y las pistas deportivas, una parcela donde se ubica una casamata de la guerra civil, zona asistencial, zona cultural y zonas verdes. Por último, la urbanización queda completada con la red viaria de la misma. Estos terrenos disponían originariamente de una superficie de 168.387 m2 según el plan parcial anteriormente mencionado.

1.4.2. Alcance del ámbito.

La presente modificación puntual abarca parte de los terrenos originariamente ubicados en el Plan Parcial “Matamaíllo”, Polígono 1 Supermanzana A y consistirá en modificar la clasificación de dichos suelos de la actual como Suelo No Urbanizable Común a Suelo Urbano Consolidado. Dicha zona queda delimitada en los planos adjuntos, disponiendo de una superficie de 117.103,25 m2 . Asimismo, se dotará a dichos suelos de unas ordenanzas acorde con las ordenanzas con las que en su día se desarrollaron.

1.4.3. Cesiones.

Las cesiones obligatorias estaban establecidas en el Plan Parcial original y están constituidas, aparte de por el suelo necesario para materializar el aprovechamiento urbanístico que le correspondía al Ayuntamiento, por una parcela de suelo verde, denominada zona verde de Plan General, una zona denominada verde de Plan Parcial, una parcela para centro asistencial y sanitario, una parcela para juegos infantiles, una parcela para centro cultural y docente, una zona de protección de arterias y por último viales y aparcamientos exteriores. El aprovechamiento urbanístico que le correspondía al Ayuntamiento fue monetizado por acuerdo del Pleno Municipal de 5 de julio de 1990. Todas las cesiones de suelo se han llevado a cabo mediante escritura pública a nombre del Ayuntamiento de Los Molinos de fecha 23 de abril de 2015, siendo registrada el 12 de junio de 2015. Las obras de urbanización no se encuentran recepcionadas por el Ayuntamiento.

1.5. Impactos

1.5.1. Impacto de género.

La Ley 2/2016, de 29 de marzo, de Identidad y Expresión de Género e Igualdad Social y no Discriminación de la Comunidad de Madrid, en su artículo 3, establece que el objeto de la misma es regular los principios, medidas y procedimientos destinados a garantizar los derechos de todas las personas residentes en la Comunidad de Madrid.

La presente Modificación Puntual de Planeamiento cumple la mencionada ley ya que su redacción respeta los derechos de todas las personas, y su aplicación, cuando sea aprobada definitivamente, no implicará discriminación por razón de identidad y expresión de género y no se generarán desigualdades sociales.

Constan en el expediente los respectivos informes favorables emitidos por la Dirección General de la Mujer y por la Dirección General de Servicios Sociales e Integración Social de la Consejería de Políticas Sociales y Familia y se incluyen en el Anexo 3 del presente documento. Consta también el informe favorable emitido por la Mancomunidad de Servicios Sociales “La Maliciosa”, a la que pertenece este Ayuntamiento, que igualmente se incluye en el respectivo anexo.

1.5.2. Impacto sobre el menor, la familia y adolescencia.

La Ley 6/1995 de 28 de marzo, de Garantías de los Derechos de la Infancia y la Adolescencia de la Comunidad de Madrid, en su artículo 1, establece que el objetivo de dicha Ley es garantizar el ejercicio de los derechos de los menores en el ámbito de la Comunidad de Madrid.

La presente Modificación Puntual de Planeamiento cumple la mencionada ley ya que su redacción y posterior aplicación una vez aprobada, no limita los derechos de los menores o adolescentes reconocidos en la legislación.

Consta en el expediente el informe favorable emitido al respecto por la Mancomunidad de Servicios Sociales “La Maliciosa”, a la que pertenece este Ayuntamiento y que se incluye en el Anexo 3 del presente documento.

1.5.3. Accesibilidad.

El Código Técnico de la Edificación en la Sección SUA-9 establece las condiciones de accesibilidad de los edificios para que la utilización de los mismos no sea discriminatoria, sea independiente y segura para las personas con discapacidad.

El ámbito de la presente modificación puntual dispone de itinerarios accesibles en los viales del mismo, ya que dispone de aceras con pavimento adecuado para el uso de sillas de ruedas, con numerosas barbacanas para acceso a dichas aceras y con itinerarios accesibles que comunican los accesos a las diferentes parcelas con las zonas comunes de la urbanización.

Los informes sectoriales solicitados han sido los siguientes:

— Dirección General de Patrimonio Cultural.

— Dirección General de Medio Ambiente y Sostenibilidad, Subdirección General de Impacto Ambiental.

— Dirección General de Servicios Sociales e Integración Social.

— Canal de Isabel II.

— Iberdrola.

— Ministerio de Energía, Turismo y Agenda Digital.

— Mancomunidad la Maliciosa.

— Ecologistas en Acción.

— Dirección General de Salud Pública.

— Dirección General de Emergencias.

— Dirección General de protección Civil y Formación.

— Dirección General de urbanismo y Suelo.

— Dirección General de Vías Pecuarias.

— Dirección General de Carreteras.

Los informes sectoriales recibidos y sus conclusiones son los siguientes:

— Dirección General de Patrimonio Cultural. Emite informe favorable en fecha 10 de enero de 2018, condicionado a que cualquier actuación sobre los elementos protegidos, nido de ametralladora, deberá ser informada previamente a la concesión de licencia con esta Dirección General. (Dicha necesidad se ha contemplado en la Ordenanza 3ª de Elementos Protegidos).

— Dirección General de Servicios Sociales e Integración Social. Informa favorablemente en fecha 16 de enero de 2018, no existiendo impacto en materia de orientación sexual, identidad o expresión de género.

— Canal de Isabel II. El 5 de marzo de 2018 emite informe favorable, estableciendo una serie de condiciones a las que deberá atenerse el saneamiento y la depuración del ámbito afectado por la Modificación Puntual, que tiene su reflejo en la presente declaración ambiental estratégica, como a continuación se explica. (Dichas condiciones han sido incluidas en el apartado 2.5 de las Normas de Ordenación).

— Ministerio de Energía, Turismo y Agenda Digital. Informa, en fecha 21 de febrero de 2018, a los efectos previstos en los artículos 34 y 35 de la Ley 9/2014, de 9 de mayo, General de Telecomunicaciones. Informa favorablemente, si bien, se expone que no se ha reflejado correctamente el marco normativo en la Evaluación Ambiental Estratégica, concretamente en el Anexo II, debiendo corregirse dicho error. (En el estudio Ambiental estratégico ya está corregido dicho error, reflejándose correctamente el marco normativo en la página 9 del Anexo II, esto es Ley 9/2014, de 9 de mayo, General de Telecomunicaciones).

— Mancomunidad La Maliciosa. Emite dos informes, en fecha 19 de enero de 2018, sobre infancia, familia y adolescencia y por razón de impacto de género. Se informa en ambos favorablemente, señalando que no existe impacto en materia de infancia, familia y adolescencia, ni impacto por razón de género.

— Dirección General de Salud Pública de la CAM. El Área de Sanidad ambiental se reitera informando favorablemente, en fecha 30 de mayo de 2018, en su informe de 1 de julio de 2016, éste último emitido con ocasión de las consultas efectuadas por parte de esta Dirección General sobre el anterior documento de la Modificación Puntual.

— Dirección General de Emergencias. Servicio de Prevención de Incendios del Cuerpo de Bomberos. Informa favorablemente, en fecha 20 de julio de 2018, por un lado, que las correcciones introducidas en la Modificación Puntual, no tratan materias de su competencia y, por otro que se reitera en su informe de fecha 22 de julio de 2016, éste último emitido con ocasión de las consultas efectuadas por parte de esta Dirección General sobre el anterior documento de la Modificación Puntual. En este último informe, el Servicio de Prevención de Incendios del Cuerpo de Bomberos, señala diversas consideraciones relativas a la seguridad en caso de incendios (intervención de bomberos, accesos a vehículos, viales, rotondas, fondos de saco), distribución de hidrantes y protección ante terrenos forestales. (Se introducen estas consideraciones en el apartado 2.5 de Ordenación del presente documento).

— Dirección General de Protección Civil y Formación. Emite informe favorable en fecha 18 de junio de 2018, reiterándose, mientras destaca su importancia, en las consideraciones realizadas en su informe emitido en fecha 8 de junio de 2016, emitido con ocasión de las consultas efectuadas por parte de esta Dirección General sobre el anterior documento de la Modificación Puntual. Además, señala, que las referencias realizadas en el mencionado informe al Decreto 58/2009, de 4 de junio, se deben trasladar al Decreto 59/2017, de 6 de junio, por el que se aprueba el Plan Especial de Protección Civil de Emergencias por Incendios Forestales en la Comunidad de Madrid (INFOMA), que está actualmente en vigor.

— Dirección General de Urbanismo y Suelo. En su contestación, de fecha 10 de octubre de 2018, indica que procederá a emitir informe urbanístico cuando reciba el expediente completo junto con los informes sectoriales favorables, con carácter previo a la aprobación definitiva, según las competencias establecidas en la Ley 9/2001, de 17 de julio, del Suelo de la Comunidad de Madrid.

— Oficina Técnica Municipal. En su informe, de 20 de diciembre de 2017, señala que el ámbito de la Modificación Puntual dispone de itinerarios accesibles, con aceras con pavimento adecuado para el uso de sillas de ruedas y numerosas barbacanas, así como itinerarios accesibles que comunican los accesos a las diferentes parcelas con las zonas comunes de la urbanización, por lo que, informa favorablemente, al cumplirse el Código Técnico de la Edificación en la Sección SUA-9, que establece las condiciones de accesibilidad de los edificios para que su utilización no sea discriminatoria y resulte independiente y segura para las personas con discapacidad.

— Dirección General de Vías Pecuarias. No se emite informe, aunque ha sido solicitado, por parte de este organismo. De acuerdo con lo dispuesto en el artículo 80.4 de la Ley 39/2015 de Procedimiento Administrativo Común de las Administraciones Públicas se puede continuar con el procedimiento.

— Dirección General de Carreteras. No emite informe, aunque ha sido solicitado por parte de este organismo el 21 de septiembre de 2018, por lo que de acuerdo con lo dispuesto en el artículo 22.2 de la Ley 3/1991, de 7 de marzo, de Carreteras de la Comunidad de Madrid, se entiende su conformidad con el documento.

Todos los informes sectoriales recibidos y citados anteriormente, son incluidos en el Anexo 2 del presente documento.

2. ORDENACIÓN

2.1. Ordenación propuesta

Urbanización El Balcón de la Peñota.

Se respeta la ordenación existente en las parcelas edificadas, en el resto de parcelas se respeta la ordenación establecida en el Plan Parcial que sirvió de base para su desarrollo, es decir, Plan Parcial Matamaíllo Supermamzana A Polígono 1, a excepción de la parcela denominada en el Plan Parcial original como Juego de Niños cuya ordenanza era la Ordenanza 3ª Juego de Niños que pasa a denominarse Ordenanza 3ª Elementos Protegidos.

El reparto de superficies es el siguiente:

2.2. Normas generales de edificación

No se incluyen las Normas Generales de Edificación ya que las mismas se encuentran definidas en el Capítulo 5. Normas generales de edificación, de las Normas Subsidiarias y Complementarias de 1991.

2.3. Alineaciones y rasantes

Serán las que figuran señaladas en el plano de alineaciones y rasantes de la presente modificación puntual. Cuando en el mismo no se realice indicación expresa, las alineaciones y rasantes oficiales serán las actuales.

2.4. Ordenanzas particulares para cada zona. Urbanización Balcón de la Peñota

2.4.1. Ordenanza 1ª vivienda unifamiliar agrupada.

1. Definición de la zona. Comprende las zonas destinadas a la edificación de viviendas unifamiliares en disposición adosada.

Condiciones de volumen.

A estos efectos se establecen los siguientes parámetros y limitaciones:

La superficie de parcela no ocupada por la edificación se considera afectada de modo permanente al uso de espacio libre privado sin que pueda ser destinada a otro uso ni parcelada ni vendida con independencia de la totalidad del solar que incluye la construcción levantada, salvo en los supuestos de la Ley del Suelo.

La longitud máxima continua de fachada en fila o hilera no será nunca superior a 50 m., la altura máxima de cualquier elemento constructivo no superará los 9 m., excepto en chimeneas y conductos de ventilación.

Las alturas de la edificación se medirán desde la rasante natural del terreno.

2. Separaciones y retranqueos. La separación mínima entre cuerpos de edificación en fila o hilera será para los bloques de eje Norte-Sur igual a vez y media la altura y de dos veces para los de eje Este-Oeste, igual criterio servirá para los patios a atrios.

Los retranqueos mínimos de fachada y fondo de la parcela serán de 4 y 6 m. respectivamente, mientras que deberá adosarse obligatoriamente a los linderos laterales. En el caso de viviendas con patio o atrio la alineación será libre en el interior de la parcela, pudiendo adosarse cualquier lindero sin previo acuerdo con el colindante. La medianería se tratará con los mismos materiales que la fachada y con análogas características, siempre que no edifiquen los colindantes. Para abrir huecos sobre la parcela colindante la distancia mínima será de tres metros. Los mencionados retranqueos afectan a toda construcción llevada a cabo dentro de las parcelas.

3. Cerramientos. Los cerramientos de las parcelas en caso de edificación en fila o hilera no podrán tener una altura superior a dos metros. En los frentes correspondientes a calles la parte superior deberá estar constituida por elementos diáfanos o calados metálicos, de madera o fábrica, hasta una altura de ochenta centímetros.

4. Programa mínimo de vivienda. Toda vivienda deberá constar como mínimo de vestíbulo, cocina, aseo, estar-comedor, un dormitorio de dos camas y uno de una cama.

5. Condiciones de uso. Se permite únicamente el uso de vivienda unifamiliar adosada.

No se permite el uso comercial. El uso de oficinas se permite como despacho anejo a vivienda de tipo profesional.

6. Condiciones higiénicas. Toda construcción deberá cumplir las condiciones mínimas establecidas en los reglamentos y disposiciones legales vigentes.

Con carácter general se permite el empleo de conductos de ventilación tipo chimenea para cuartos de baño, aseos, despensas y escaleras. Tales conductos se encontrarán comunicados con el exterior por su parte superior, debiendo llegar hasta la cubierta y sobrepasando esta en al menos 30 cm sobre esta. En escaleras interiores se permite la iluminación cenital mediante linternas o claraboyas, con una superficie mínima de 2/3 de la superficie de la escalera. Se prohíben las escaleras exteriores de comunicación entre plantas.

En lo relativo a la iluminación de cocinas, dormitorios, cuarto de estar y salones se llevará a cabo mediante aperturas (ventanas o ventanales) en fachas exteriores con una superficie mínima de 1/8 de la superficie de la estancia.

7. Condiciones estéticas. Los materiales a emplear en fachadas serán el ladrillo color marrón chocolate similar al existente y enfoscados de mortero de cemento tanto lisos como tirolesa tintados en colores blancos.

En lo relativo a carpinterías exteriores se permiten las carpinterías de madera, PVC y aluminio en colores blancos y marrones.

En relación a las cubiertas los materiales a emplear serán teja curva o mixta cerámica o de hormigón en color marrón.

El resto de los materiales quedan prohibidos.

8. Aparcamientos. Se preverá una plaza de aparcamiento mínimo por vivienda y dentro de la propia parcela.

2.4.2. Ordenanza 2ª deportivo.

1. Definición de la zona. Comprende las zonas destinadas a deportes y esparcimiento.

2. Condiciones de volumen.

A estos efectos se establecen los siguientes parámetros y limitaciones:

3. Separaciones y retranqueos. La separación mínima a cualquier lidero será de 4 metros para las construcciones cubiertas. Las construcciones no cubiertas podrán adosarse a lindero.

4. Cerramientos. Los cerramientos de las parcelas no podrán tener una altura superior a 2 metros, exceptuando los cerramientos de pistas deportivas como pistas de tenis, etc. que dispondrán de una altura máxima de 4 metros. Todos los linderos deberán estar constituidos por elementos diáfanos o calados metálicos de madera.

5. Condiciones de uso. Se permite únicamente el uso deportivo y de esparcimiento como jardines y zonas verdes y solamente para el uso de la comunidad de vecinos.

6. Condiciones higiénicas. Toda construcción deberá cumplir las condiciones mínimas establecidas en los reglamentos y disposiciones legales vigentes.

Con carácter general se permite el empleo de conductos de ventilación tipo chimenea para cuartos de baño, aseos, vestuarios y escaleras. Tales conductos se encontrarán comunicados con el exterior por su parte superior, debiendo llegar hasta la cubierta y sobrepasando esta en al menos 30 cm sobre esta. En escaleras interiores se permite la iluminación cenital mediante linternas o claraboyas, con una superficie mínima de 2/3 de la superficie de la escalera. En lo relativo a la iluminación y ventilación de almacenes y depósitos de materiales de piscinas y jardinería se llevará a cabo mediante aperturas (ventanas o ventanales) en fachas exteriores con una superficie mínima de 1/8 de la superficie de la estancia.

7. Condiciones estéticas. Mismas condiciones que en ordenanza de vivienda.

2.4.3. Ordenanza 3ª elementos protegidos.

1. Definición de la zona. Comprende la parcela donde se ubica la casamata de la Guerra Civil.

2. Condiciones de volumen. A estos efectos se establecen los siguientes parámetros y limitaciones:

3. Cerramientos. Zona abierta sin cerramientos en linderos con vía pública.

4. Condiciones de uso. Se permite únicamente el uso público de esparcimiento como jardines y zonas verdes.

5. En el caso de realización de obras de remoción o movimientos de tierras u obras que afecten al bien protegido, se deberá obtener autorización previa de la Dirección General de Patrimonio Cultural.

2.4.4. Ordenanza 4ª cultural y docente.

1. Definición de la zona. Comprende las zonas destinadas a la construcción de edificios culturales o educativos.

Condiciones de volumen.

A estos efectos se establecen los siguientes parámetros y limitaciones:

La superficie de parcela no ocupada por la edificación se considera afectada de modo permanente al uso de espacio libre sin que pueda ser destinada a otro uso ni parcelada ni vendida con independencia de la totalidad del solar que incluye la construcción levantada, salvo en los supuestos de la Ley del Suelo.

La longitud máxima continua de fachada no será nunca superior a 40 m.

2. Separaciones y retranqueos. Los retranqueos mínimos serán tanto a calle como alindero de 5,00 m. Los mencionados retranqueos afectan a toda construcción llevada a cabo dentro de las parcelas.

3. Cerramientos. Los cerramientos de las parcelas no podrán tener una altura superior a dos metros. En los frentes correspondientes a calles la parte inferior deberá estar constituida por muros de piedra de granito hasta una altura de 1,00 m, debiendo estar constituida la parte superior por elementos diáfanos o calados metálicos o de madera.

4. Condiciones de uso. Se permite únicamente el uso público cultural o educativo y complementarios.

El uso de estacionamiento y garajes se establece en una plaza por cada 25 m2 de parcela, siempre dentro de la propia parcela.

5. Condiciones higiénicas. Toda construcción deberá cumplir las condiciones mínimas establecidas en los reglamentos y disposiciones legales vigentes.

Con carácter general se permite el empleo de conductos de ventilación tipo chimenea para cuartos de baño, aseos y escaleras. Tales conductos se encontrarán comunicados con el exterior por su parte superior, debiendo llegar hasta la cubierta y sobrepasando ésta en al menos 30 cm sobre la cumbrera. En escaleras interiores se permite la iluminación cenital mediante linternas o claraboyas, con una superficie mínima de 2/3 de la superficie de la escalera. En lo relativo a la iluminación de estancias se llevará a cabo mediante aperturas (ventanas o ventanales) en fachas exteriores con una superficie mínima de 1/8 de la superficie de la estancia.

6. Condiciones estéticas. Los materiales a emplear en fachadas serán el ladrillo color marrón chocolate similar al existente en las viviendas del entorno y enfoscados de mortero de cemento tanto lisos como tirolesa tintados en colores blancos.

En lo relativo a carpinterías exteriores se permiten las carpinterías de madera, PVC y aluminio en colores blancos y marrones.

En relación a las cubiertas los materiales a emplear serán teja curva o mixta cerámica o de hormigón en color marrón.

El resto de los materiales quedan prohibidos.

7. Aparcamientos. Se preverá una plaza de aparcamiento mínimo por cada 100 m2 o fracción de edificación dentro de la propia parcela.

2.4.5. Ordenanza 5ª asistencial y sanitario.

1. Definición de la zona. Comprende las zonas destinadas a la construcción de edificios asistenciales o sanitarios.

Condiciones de volumen.

A estos efectos se establecen los siguientes parámetros y limitaciones:

La superficie de parcela no ocupada por la edificación se considera afectada de modo permanente al uso de espacio libre sin que pueda ser destinada a otro uso ni parcelada ni vendida con independencia de la totalidad del solar que incluye la construcción levantada, salvo en los supuestos de la Ley del Suelo.

La longitud máxima continua de fachada no será nunca superior a 15 m.

2. Separaciones y retranqueos. Los retranqueos mínimos serán tanto a calle como alindero de 3,00 m. Los mencionados retranqueos afectan a toda construcción llevada a cabo dentro de las parcelas.

3. Cerramientos. Los cerramientos de las parcelas no podrán tener una altura superior a dos metros. En los frentes correspondientes a calles la parte inferior deberá estar constituida por muros de piedra de granito hasta una altura de 1,00 m, debiendo estar constituida la parte superior por elementos diáfanos o calados metálicos o de madera.

4. Condiciones de uso. Se permite únicamente el uso público asistencial, sanitario y complementarios.

El uso de estacionamiento y garajes se establece en una plaza por cada 25 m2 de parcela, siempre dentro de la propia parcela.

5. Condiciones higiénicas. Toda construcción deberá cumplir las condiciones mínimas establecidas en los reglamentos y disposiciones legales vigentes.

Con carácter general se permite el empleo de conductos de ventilación tipo chimenea para cuartos de baño, aseos y escaleras. Tales conductos se encontrarán comunicados con el exterior por su parte superior, debiendo llegar hasta la cubierta y sobrepasando esta en al menos 30 cm sobre la cumbrera. En escaleras interiores se permite la iluminación cenital mediante linternas o claraboyas, con una superficie mínima de 2/3 de la superficie de la escalera. En lo relativo a la iluminación de estancias se llevará a cabo mediante aperturas (ventanas o ventanales) en fachas exteriores con una superficie mínima de 1/8 de la superficie de la estancia.

6. Condiciones estéticas. Los materiales a emplear en fachadas serán el ladrillo color marrón chocolate similar al existente en las viviendas del entorno y enfoscados de mortero de cemento tanto lisos como tirolesa tintados en colores blancos.

En lo relativo a carpinterías exteriores se permiten las carpinterías de madera, PVC y aluminio en colores blancos y marrones.

En relación a las cubiertas los materiales a emplear serán teja curva o mixta cerámica o de hormigón en color marrón.

El resto de los materiales quedan prohibidos.

7. Aparcamientos. Se preverá una plaza de aparcamiento por cada 100 m2 o fracción de edificación dentro de la propia parcela.

2.4.6. Ordenanza 6ª comercial.

1. Definición de la zona. Comprende las zonas destinadas a la construcción de edificios comerciales. El tipo de ordenación será en manzanas abiertas con itinerarios y recintos interiores para la circulación exclusiva de peatones y plazas perimetrales para estacionamiento de vehículos y para carga y descarga de mercancías.

Condiciones de Volumen.

A estos efectos se establecen los siguientes parámetros y limitaciones:

La superficie de parcela no ocupada por la edificación se considera afectada de modo permanente al uso de espacio libre sin que pueda ser destinada a otro uso ni parcelada ni vendida con independencia de la totalidad del solar que incluye la construcción levantada, salvo en los supuestos de la Ley del Suelo.

La longitud máxima continua de fachada no será nunca superior a 30 m.

2. Separaciones y retranqueos. Los retranqueos mínimos serán tanto a calle como alindero de 5,00 m. Los mencionados retranqueos afectan a toda construcción llevada a cabo dentro de las parcelas.

3. Cerramientos. Los cerramientos de las parcelas no podrán tener una altura superior a dos metros. En los frentes correspondientes a calles la parte inferior deberá estar constituida por muros de piedra de granito hasta una altura máxima de 1,00 m, debiendo estar constituida la parte superior por elementos diáfanos o calados metálicos o de madera.

4. Condiciones de uso. Se permite únicamente el uso de comercios, almacenes y oficinas. No se permite el uso industrial.

El uso de estacionamiento y garajes se establece en una plaza por cada 25 m2 construidos, siempre dentro de la propia parcela.

5. Condiciones higiénicas. Toda construcción deberá cumplir las condiciones mínimas establecidas en los reglamentos y disposiciones legales vigentes.

Con carácter general se permite el empleo de conductos de ventilación tipo chimenea para cuartos de baño, aseos y escaleras. Tales conductos se encontrarán comunicados con el exterior por su parte superior, debiendo llegar hasta la cubierta y sobrepasando ésta en al menos 30 cm sobre la cumbrera. En escaleras interiores se permite la iluminación cenital mediante linternas o claraboyas, con una superficie mínima de 2/3 de la superficie de la escalera. En lo relativo a la iluminación de estancias se llevará a cabo mediante aperturas (ventanas o ventanales) en fachas exteriores con una superficie mínima de 1/8 de la superficie de la estancia.

6. Condiciones estéticas. Los materiales a emplear en fachadas serán el ladrillo color marrón chocolate similar al existente en las viviendas del entorno y enfoscados de mortero de cemento tanto lisos como tirolesa tintados en colores blancos.

En lo relativo a carpinterías exteriores se permiten las carpinterías de madera, PVC y aluminio en colores blancos y marrones.

En relación a las cubiertas los materiales a emplear serán teja curva o mixta cerámica o de hormigón en color marrón.

El resto de los materiales quedan prohibidos.

7. Aparcamientos. Se preverá de una plaza de aparcamiento por cada 100 m2 de edificación o fracción dentro de la propia parcela.

2.4.7. Ordenanza 7ª hotelero.

1. Definición de la zona. Comprende las zonas destinadas a la construcción de edificios con uso hotelero en cualquiera de sus categorías. El tipo de ordenación será en manzanas abiertas con itinerarios y recintos interiores para la circulación exclusiva de peatones y plazas perimetrales para estacionamiento de vehículos y carga y descarga de mercancías.

Condiciones de volumen.

A estos efectos se establecen los siguientes parámetros y limitaciones:

La superficie de parcela no ocupada por la edificación se considera afectada de modo permanente al uso de espacio libre sin que pueda ser destinada a otro uso ni parcelada ni vendida con independencia de la totalidad del solar que incluye la construcción levantada, salvo en los supuestos de la Ley del Suelo.

La longitud máxima continua de fachada no será nunca superior a 30 m.

2. Separaciones y retranqueos. Los retranqueos mínimos serán tanto a calle como a lindero de 8,00 metros. Los mencionados retranqueos afectan a toda construcción llevada a cabo dentro de las parcelas.

3. Cerramientos. Los cerramientos de las parcelas no podrán tener una altura superior a dos metros. En los frentes correspondientes a calles la parte inferior deberá estar constituida por muros de piedra de granito hasta una altura máxima de 1,00 m, debiendo estar constituida la parte superior por elementos diáfanos o calados metálicos o de madera.

4. Condiciones de uso. Se permite únicamente el uso hotelero, en todas sus modalidades y categorías.

El uso de estacionamiento y garajes se establece en una plaza por cada plaza hotelera más otra plaza por cada 25 m2 construidos de zonas comunes, siempre dentro de la propia parcela.

5. Condiciones higiénicas. Toda construcción deberá cumplir las condiciones mínimas establecidas en los reglamentos y disposiciones legales vigentes.

Con carácter general se permite el empleo de conductos de ventilación tipo chimenea para cuartos de baño, aseos y escaleras. Tales conductos se encontrarán comunicados con el exterior por su parte superior, debiendo llegar hasta la cubierta y sobrepasando ésta en al menos 30 cm sobre la cumbrera. En escaleras interiores se permite la iluminación cenital mediante linternas o claraboyas, con una superficie mínima de 2/3 de la superficie de la escalera. En lo relativo a la iluminación de estancias se llevará a cabo mediante aperturas (ventanas o ventanales) en fachas exteriores con una superficie mínima de 1/8 de la superficie de la estancia.

6. Condiciones estéticas. Los materiales a emplear en fachadas serán el ladrillo color marrón chocolate similar al existente en las viviendas del entorno y enfoscados de mortero de cemento tanto lisos como tirolesa tintados en colores blancos.

En lo relativo a carpinterías exteriores se permiten las carpinterías de madera, PVC y aluminio en colores blancos y marrones.

En relación a las cubiertas los materiales a emplear serán teja curva o mixta cerámica o de hormigón en color marrón.

El resto de los materiales quedan prohibidos.

7. Aparcamientos. Se preverá una plaza de aparcamiento como mínimo por cada 4 plazas de alojamiento o fracción dentro de la propia parcela.

2.4.8. Ordenanza 8ª viales públicos.

Definición de la zona. Comprende las zonas destinadas a viales y aparcamientos exteriores. La disposición, dimensiones, materiales y trazado será la existente, con una dotación de 85 plazas de aparcamiento exterior, coincidente todo ello con lo establecido por el Plan Parcial de Ordenación de la Supermazana “A” Polígono “1” Matamaíllo original.

2.4.9. Ordenanza 9ª verde público.

1. Definición de la zona. Comprende los espacios públicos de libre acceso con predominio de la vegetación dedicados a zonas arboladas y destinados al recreo y esparcimiento de la población.

Condiciones de Volumen.

A estos efectos se establecen los siguientes parámetros y limitaciones:

2. Condiciones de uso. Uso de espacios libres y zonas verdes.

2.5. Determinaciones, medidas y condiciones finales

2.5.1. Entidad Urbanística de Conservación.

De acuerdo con lo dispuesto en el artículo 136 de la Ley 9/2001, del Suelo de la Comunidad de Madrid, será obligación de los propietarios constituirse en Entidad Urbanística de Conservación, correspondiendo, por tanto, la conservación de la urbanización a esta. Esta obligación se entenderá cumplida con la E.U.C. existente.

La atribución de la conservación a los propietarios agrupados en Entidad Urbanística de Conservación comportará para el Ayuntamiento la obligación legal de subvencionar dicha entidad.

2.5.2. Ley 8/2018 de Protección Fomento del Arbolado Urbano de la CAM.

Se aplicará la Ley de Protección de Arbolado Urbano 8/2018 a todas aquellas licencias de obra que se soliciten sobre los solares que cuenten con arbolado y en las que el mismo se vea afectado por obras de edificación.

2.5.3. Emergencias, seguridad y contra incendios.

Por recomendación del Servicio de Prevención de Incendios del Cuerpo de Bomberos sería necesario llevar a cabo una correcta regulación del tráfico rodado y viario exterior por lo que, previo a la presentación de las licencias de obras de edificación de las parcelas vacantes se presentará un Plan de Reordenación de la Circulación en espacios exteriores, en el cual se facilitará la entrada, maniobra y salida de la urbanización de vehículos de bomberos.

2.5.4. Sanidad ambiental.

En aplicación del informe de la Subdirección de Sanidad Ambiental de 1 de julio de 2016.

En la fase de ejecución de obras habrán de aplicarse las técnicas disponibles para minimizar los posibles riesgos derivados de la producción de polvo, partículas y ruidos.

En caso de ejecutarse obras de reparación o sustitución de tuberías de agua de fibrocemento, la manipulación, retirada y gestión de materiales, se llevará a cabo por empresas especializadas y registradas.

En caso de tener que ejecutarse conducciones de agua potable de más de 500 m de longitud, depósitos de agua o remodelación de la existente será preceptivo que, previo a la ejecución de las obras se emita informe por la Dirección General de Salud Pública y una vez ejecutadas las obras y antes de la puesta en servicio por el Servicio de Sanidad Ambiental.

2.5.5. Protección del Patrimonio Cultural.

En aplicación del informe de 10 de enero de 2018 de la Dirección General de Patrimonio Cultural, cualquier obra, remoción o movimiento de tierras que se pretenda llevar a cabo sobre el Bien Protegido existente en el ámbito de la Modificación Puntual deberá contra previamente con la autorización de dicha Dirección General y así queda recogido en la correspondiente Ordenanza.

2.5.6. Contaminación lumínica.

En aplicación del R.D. 1890/2008 de 14 de noviembre por el que se aprueba el Reglamento de Eficiencia Energética se tendrán en cuentas las siguientes consideraciones para ejecutar nuevas redes de iluminación y para la renovación de las existentes:

— Se evitará el uso de lámparas de vapor de mercurio.

— Carcasa de lámparas cerrada y opaca que evite proyecciones cenitales.

— En la disposición de las lámparas se evitará que la luz incida en zonas exteriores del ámbito.

— Se preservarán al máximo posible las condiciones naturales de las horas nocturnas en beneficio de la fauna, la flora y los ecosistemas en general.

— Se reducirá la intrusión lumínica en zonas distintas a las que se pretende iluminar.

2.5.7. Seguimiento ambiental.

En aplicación del artículo 51 de la Ley 21/2013 de Evaluación Ambiental, el Ayuntamiento remitirá a la Dirección General de Medio Ambiente, informe de seguimiento de la declaración ambiental estratégica, incluyendo el programa de vigilancia ambiental y listado de comprobaciones.

2.5.8. Abastecimiento de agua, depuración y saneamiento.

Para dar cumplimiento al informe del Canal de Isabel II de 5 de marzo de 2018, se establecen los siguientes condicionantes:

— Respecto a la conexión a la red de abastecimiento existente: una vez aprobada Modificación Puntual definitivamente, el promotor contratará la acometida de la parcela comercial con Canal Isabel II. Las licencias para construcción de las 80 viviendas y para construcción en la parcela de uso hotelero, se condicionarán a la emisión de un informe por parte del Canal de Isabel II sobre estado de la red de abastecimiento para corregir las posibles deficiencias. Dicho informe habrá de ser solicitado por el promotor.

— Respecto a la depuración y red saneamiento de aguas residuales: el promotor, previo a la solicitud de licencia de obras, solicitará a la Subdirección General de Evaluación Ambiental Estratégica de la Consejería de Medio Ambiente informe en relación al Decreto 170/98 sobre gestión infraestructuras saneamiento residuales. Las prescripciones del mencionado informe serán de obligado cumplimiento.

— Respecto depuración aguas residuales: según el informe del Canal de Isabel II de 5 de marzo de 2018 el incremento de vertido podrá ser tratado en la EDAR de El Chaparral.

— Respecto conexión a red saneamiento existente: una vez aprobada la Modificación Puntual definitivamente, el promotor de la zona que queda por desarrollar, deberá solicitar informe a Canal de Isabel II para conocer los tramos que requieran actuaciones según el Estudio de Diagnóstico y Plan Director de Saneamiento Sistema del Chaparral y que se precisen ejecutar. Por tanto, las licencias de las viviendas nuevas, hotelero y comercial, quedan condicionadas a puesta servicio infraestructuras abastecimiento saneamiento y depuración en los tramos indicados en el Estudio Diagnóstico y Plan Director mencionado.

3. DECLARACIÓN AMBIENTAL ESTRATÉGICA

Con fecha 6 de junio de 2017 se recibe el Informe Ambiental Estratégico y Documento de Alcance elaborado por la Dirección General de Medio Ambiente de la CAM, relativo a la Modificación Puntual 1/2015 de las NN.SS. de 1991.

En dicho informe de evaluación ambiental estratégica se exponen las siguientes consideraciones:

Primero.—El Documento Ambiental Estratégico existente detecta un impacto crítico como consecuencia del cambio de clasificación urbanística de los suelos categorizados como vía pecuaria que pasan a ser clasificados como suelo urbano, requiriéndose por ello la corrección del documento de modificación puntual.

Segundo.—En base al anexo V de la Ley 21/2013 de Evaluación Ambiental la Modificación Puntual 1/2015 debe ser objeto de Evaluación Ambiental Estratégica Ordinaria.

En el mismo documento recibido el 6 de junio de 2017 se incluye el Documento de Alcance del Estudio Ambiental Estratégico, en el cual se establece el contenido del Documento Ambiental Estratégico, el cual, a grandes rasgos ha de ser el siguiente:

1. Un esbozo del contenido, objetivos principales de la Modificación Puntual y relaciones con otros planes y programas pertinentes.

2. Los aspectos relevantes de la situación actual del medio ambiente y su probable evolución en caso de no desarrollar la Modificación Puntual.

3. Las características medioambientales de las zonas que puedan verse afectadas de manera significativa y su evolución teniendo en cuenta el cambio climático esperado en el plazo de vigencia de la Modificación Puntual.

4. Cualquier problema medioambiental existente que sea relevante para la Modificación Puntual, incluyendo en particular los problemas relacionados con las zonas de especial importancia medioambiental, como las designadas de conformidad con la legislación aplicable sobre espacios naturales y especies protegidas y los espacios protegidos de la Red Natura 2000.

5. Los objetivos de protección medioambiental fijados en los ámbitos internacional, comunitario que guarden relación con la Modificación Puntual y la manera en que tales objetivos y cualquier aspecto medioambiental se han tenido en cuenta durante su elaboración.

6. Los probables efectos significativos en el medio ambiente, incluidos aspectos como la biodiversidad, la población, la salud humana, la flora, la fauna, la tierra, el agua, el aire, los factores climáticos, su incidencia en el cambio climático, en particular una evaluación adecuada de la huella de carbono asociada a la Modificación Puntual, los bienes materiales, el patrimonio cultural, el paisaje y la interrelación entre estos factores.

7. Medidas previstas para prevenir, reducir y, en la medida de lo posible, compensar cualquier efecto negativo importante en el medio ambiente de la aplicación de la Modificación Puntual, incluyendo aquellas para mitigar su incidencia sobre el cambio climático y permitir su adaptación al mismo.

8. Un resumen de los motivos de selección de las alternativas contempladas y una descripción de la manera en que se realizó la evaluación, incluidas las dificultades, como deficiencias técnicas o falta de conocimientos y experiencia que pudieran haberse encontrado a la hora de recabar la información requerida.

9. Un programa de vigilancia ambiental en el que se describan las medidas previstas para el seguimiento.

10. Un resumen de carácter no técnico de la información facilitada en virtud de los epígrafes precedentes.

11. Otros estudios sectoriales:

— En lo relativo al cumplimiento del Decreto 170/1998, de 1 de octubre, sobre gestión de las infraestructuras de saneamiento de aguas residuales de la Comunidad de Madrid, se tendrá en cuenta el contenido del informe de Canal de Isabel II, de 15 de junio de 2016. Se presentará un estudio que, de acuerdo con las vigentes Normas para redes de saneamiento de Canal de Isabel II y demás normativa de aplicación, cuantifique los caudales de vertido de aguas residuales y pluviales para las situaciones pre y postoperacional, señale las infraestructuras de saneamiento en servicio o proyectadas que den servicio al ámbito, justificando su suficiencia, indicando su titularidad y especificando el destino final de los vertidos de aguas residuales y pluviales.

— En lo relativo al cumplimiento la Ley 37/2003, de 17 de noviembre, del Ruido y los Reales Decretos que la desarrollan, se deberá adaptar el estudio acústico presentado en esta fase según los cambios que se propongan en la ordenación. En cualquier caso, deberá tenerse en cuenta que los espacios libres en los que se superen los valores objetivo de calidad acústica propios de las zonas residenciales deberán calificarse como no estanciales y no podrán ser considerados como zonas verdes de estancia. En cumplimiento del artículo 13 del Real Decreto 1367/2007, de 19 de octubre, el correspondiente plano de zonificación acústica del ámbito deberá formar parte de la documentación normativa de la Modificación Puntual.

Como consecuencia del contenido del Informe de Evaluación Ambiental Estratégica y del Documento de Alcance del Estudio Ambiental Estratégico elaborados por la Dirección General de Medio Ambiente y por parte de esta Oficina Técnica, se realizó la corrección del documento de Modificación Puntual número 1/2015 de las NN.SS. de 1991, y se han recogido las rectificaciones establecidas tanto en el Informe de Evaluación Ambiental Estratégica como en el Documento de Alcance del Estudio Ambiental Estratégico.

Las rectificaciones introducidas han sido las siguientes:

— Exclusión del ámbito del área clasificada por las NN.SS. de 1991 como Suelo No Urbanizable Especialmente Protegido y exclusión del área calificada como vía pecuaria ( descansadero de ganado ) incluido en el ámbito anteriormente descrito, todo ello implica reducir la superficie del ámbito de 172.383,56 m2 a 117.103,25 m2.

— Se elimina la colindancia con la carretera M-622.

— Se crea una nueva ordenanza de elementos protegidos, que regula y protege la parcela donde se ubica el nido de ametralladora de la Guerra Civil existente.

Asimismo, se ha modificado el Documento Ambiental Estratégico y la Evaluación de la Contaminación Acústica, recogiendo todas las indicaciones contenidas en el Documento de Alcance del Estudio Ambiental Estratégico, y se ha llevado a cabo un detallado estudio de la red de saneamiento existente en el ámbito, que ha dado como resultado la idoneidad de la misma, tal y como se refleja en el punto 3.2.5 de la Evaluación Ambiental Estratégica.

Con fecha 7 de diciembre de 2018 se recibe Declaración Ambiental Estratégica emitida por la Dirección General de Medio Ambiente y Sostenibilidad, asimismo, y con dicha declaración, se adjunta informe técnico de Área de Conservación de Montes de dicha Dirección General.

En la mencionada Declaración Ambiental se realiza un estudio del documento de Modificación Puntual y del documento de Evaluación Ambiental Estratégica que acompaña a la Modificación Puntual, desglosándose los informes sectoriales emitidos y las conclusiones de los mismos».















Los Molinos, a 22 de enero de 2020.—El alcalde, Antonio Coello Gómez-Rey.

(03/2.160/20)

Nota: El contenido del texto de la disposición que aquí se muestra no es necesariamente exacto y completo. Únicamente la disposición publicada con firma electrónica, en formato PDF, tiene carácter auténtico y validez oficial.

Sección 3.10.20L: III. ADMINISTRACIÓN LOCAL AYUNTAMIENTOS

Madrid Comunidad Digital
Código de Verificación Electrónica (CVE): BOCM-20200207-28