Boletín Oficial de la Comunidad de Madrid - Núm 11

Fecha del Boletín 
14-01-2021

Sección 1.4.103.1: I. COMUNIDAD DE MADRID


Código de Verificación Electrónica (CVE): BOCM-20210114-18

Páginas: 6


I. COMUNIDAD DE MADRID

D) Anuncios

CONSEJERÍA DE JUSTICIA, INTERIOR Y VÍCTIMAS

18
ORDEN de 22 de diciembre de 2020, del Consejero de Justicia, Interior y Víctimas, por la que se otorga una concesión administrativa a favor de i-DE Redes Eléctricas Inteligentes, S. A. U., para la tenencia y mantenimiento del centro de seccionamiento que se ubica en el Parque de Bomberos de la Comunidad de Madrid en Alcobendas.

Con fecha de 8 de febrero de 2017, la entonces Consejería de Presidencia, Justicia y Portavocía del Gobierno suscribió un Convenio con el Ayuntamiento Alcobendas para la cesión de una parcela, que sería destinada a la construcción de un nuevo Parque de Bomberos de la Comunidad de Madrid en el citado municipio.

La mencionada parcela era propiedad del Ayuntamiento de Alcobendas en virtud de Proyecto de Parcelación y constaba dada de alta en el Inventario Municipal de Alcobendas con el número de Orden 2806.

En atención a lo estipulado en el referido Convenio, la Junta de Gobierno Local del Ayuntamiento de Alcobendas en sesión de fecha 29 de junio de 2017 adoptó el acuerdo de ceder gratuitamente a la Comunidad de Madrid, la propiedad de la parcela municipal sita en la avenida de Fernando Alonso, número 3, con la siguiente descripción:

— Finca urbana. Parcela de terreno en el sector “El Juncal” del municipio de Alcobendas, con una superficie de 11.859 m2.

Linda, al norte, con el Instituto de Enseñanza Giner de los Ríos; al este, con la parcela dotacional D1; al sur, con la calle B (hoy calle de Fernando Alonso) y al oeste, con la parcela D3-A.

— La parcela se encuentra inscrita a nombre del Ayuntamiento de Alcobendas en el Registro de la Propiedad de Alcobendas número 2, al folio 211, tomo 770, libro 1455, como finca número 55711.

— Referencia Catastral: 7577114VK4877N0001ZZ.

— Naturaleza jurídica: Patrimonial.

— Uso urbanístico: Dotacional.

La cesión de la parcela descrita, según lo establecido en el referido Acuerdo queda sujeta a las siguientes condiciones:

— La parcela cedida se destinará a la construcción de un Parque de Bomberos.

— La cesión se condiciona al mantenimiento del uso previsto de Parque de Bomberos y su incumplimiento dará lugar a la resolución de la cesión y a la reversión del bien cedido.

La entonces Dirección General de Protección Ciudadana de la Consejería de Presidencia, Justicia y Portavocía del Gobierno solicitó a la entonces Consejería de Economía, Empleo y Hacienda la aceptación de la cesión de la propiedad de la parcela arriba identificada, con el fin de construir un nuevo Parque de Bomberos en Alcobendas, de mayor capacidad y superficie en sustitución del actual, que se había quedado obsoleto y reducido.

La construcción del nuevo parque se encargó, mediante Acuerdo de Consejo de Gobierno de 11 de abril de 2017, a la Empresa Pública Obras de Madrid, Gestión de Obras e Infraestructuras.

La entonces Consejería de Economía, Empleo y Hacienda aceptó, mediante Orden de 3 de agosto de 2017, la cesión gratuita de la propiedad acordada por el Ayuntamiento de Alcobendas a favor de la Comunidad de Madrid sobre la parcela de terreno municipal sita en la avenida de Fernando Alonso número 3, de Alcobendas, de 11.859 m2 de superficie, para la construcción y mantenimiento de un Parque de Bomberos, en las condiciones estipuladas en el Convenio de Colaboración de 8 de febrero de 2017 y en el Acuerdo de la Junta de Gobierno Local del Ayuntamiento de Alcobendas de 29 de junio 2017, adscribiéndola a la Consejería competente en materia de protección ciudadana, prevención y extinción de incendios y coordinación de emergencias (actualmente Consejería de Justicia, Interior y Víctimas) y afectando dicha parcela al servicio público de prevención y extinción de incendios, la cual queda catalogada como un bien de dominio público.

La adscripción confiere desde entonces a la Consejería competente en materia de protección ciudadana, prevención y extinción de incendios y coordinación de emergencias las funciones y responsabilidades de uso, administración, gestión, conservación y defensa de la referida parcela.

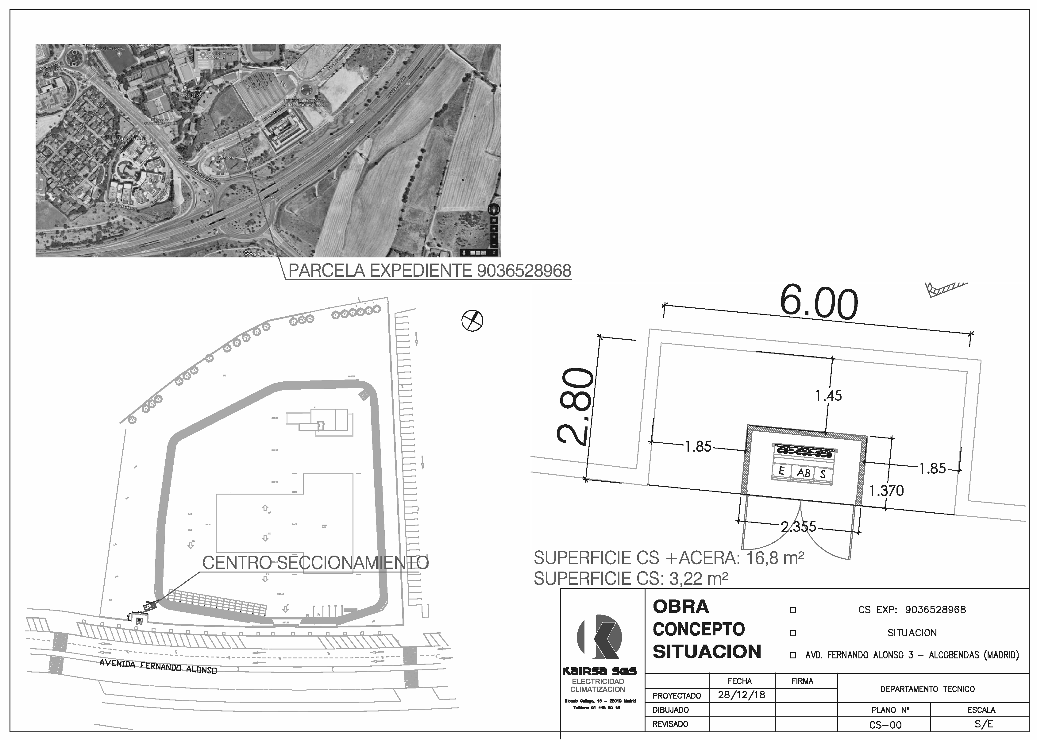
En la citada parcela existe una línea eléctrica y un centro de seccionamiento destinado a la distribución de la energía eléctrica, el cual dará suministro al nuevo Parque de Bomberos. El centro de seccionamiento y su acometida forman parte de la red de distribución cuya titularidad es de la compañía distribuidora de la zona, por lo que esas instalaciones forzosamente deben ser cedidas a esta última, que en este supuesto es i-DE Redes Eléctricas Inteligentes, S. A. U.

Por lo expuesto, con el fin de garantizar la correcta puesta en servicio de las instalaciones eléctricas del nuevo parque y dar adecuada estabilidad jurídica a la situación y ubicación de las instalaciones de la energía eléctrica, se ha recibido solicitud de la compañía eléctrica i-DE Redes Eléctricas Inteligentes, S. A. U., con número de CIF A-95075578, para que se otorgue por la Consejería de Justicia, Interior y Víctimas, concesión administrativa de tenencia y mantenimiento por 75 años, de la zona en forma de rectángulo, con una longitud de 2,355 metros y anchura de 1,370 metros (superficie total de 3,22 m2), situada sobre la parcela nuevo Parque de Bomberos de la Comunidad de Madrid en Alcobendas, ubicado en la avenida Fernando Alonso, número 3, de Alcobendas, para dar servicio al centro de seccionamiento y para alimentar el centro de transformación titularidad de la Consejería de Justicia, Interior y Víctimas, instalado en el referido lugar.

La Consejería de Justicia, Interior y Víctimas considera procedente la concesión administrativa solicitada, la cual se encuentra justificada mediante memoria explicativa de la Dirección General de Emergencias de fecha 6 de febrero de 2020, por la que se pone de manifiesto la necesidad de otorgar la presente concesión administrativa para poder poner en funcionamiento el nuevo Parque de Bomberos de la Comunidad de Madrid en Alcobendas, ya que de lo contrario carecería de suministro eléctrico.

FUNDAMENTOS DE DERECHO

Primero

Resulta de aplicación específica a la presente concesión administrativa la legislación patrimonial, en concreto la Ley 33/2003, de 3 de noviembre, de Patrimonio de las Administraciones Públicas, y la Ley 3/2001, de 11 de junio, de Patrimonio de la Comunidad de Madrid.

Segundo

De acuerdo con lo dispuesto en el artículo 33.1 de la Ley 3/2001, de 11 de junio, de Patrimonio de la Comunidad de Madrid, por el que se regula el uso privativo sobre bienes inmuebles de dominio público con instalaciones de carácter permanente, la utilización y aprovechamiento de los mismos será otorgada por el titular de la Consejería a la que esté adscrito el bien mediante concesión administrativa y por un tiempo limitado que no podrá exceder, incluidas prórrogas, de setenta y cinco años.

Tercero

Se exceptúa la regla de la concurrencia en el otorgamiento de la presente concesión por aplicación de lo previsto en el artículo 34.5 de la Ley 3/2001, de 11 de junio de Patrimonio de la Comunidad de Madrid, el cual se remite al artículo 137.4 de la Ley 33/2003, de 3 de noviembre, del Patrimonio de las Administraciones Públicas, y en concreto por aplicación de lo previsto en su apartado c), toda vez que el bien inmueble objeto de la concesión resulta necesario para el cumplimiento de la función de servicio público de emergencias ya que sin suministro eléctrico, el nuevo Parque de Bomberos de la Comunidad de Madrid en Alcobendas no podría comenzar su actividad.

Cuarto

En aplicación de lo previsto en el artículo 33.2 de la Ley 3/2001, de 11 de junio, de Patrimonio de la Comunidad de Madrid, la concesión administrativa se ha de otorgar para una finalidad concreta; si bien por lo que respecta al devengo de tasa por el uso privativo del bien de dominio público no procede la imposición de la misma en aplicación del artículo 355.2 del Decreto Legislativo 1/2002, de 24 de octubre, por el que se aprueba el texto refundido de la Ley de Tasas y Precios Públicos de la Comunidad de Madrid.

Quinto

De conformidad con el artículo 94 de la Ley 33/2003, de 3 de noviembre, de Patrimonio de las Administraciones Públicas, con el carácter de legislación básica “En ningún caso podrán ser titulares de concesiones sobre bienes y derechos demaniales las personas en quienes concurra alguna de las prohibiciones de contratar reguladas en el Real Decreto Legislativo 2/2000, de 16 de junio, por el que se aprueba el texto refundido de la Ley de Contratos de las Administraciones Públicas.

Cuando, posteriormente al otorgamiento de la concesión, el titular incurra en alguna de las prohibiciones de contratación se producirá la extinción de la concesión”.

En este mismo sentido se manifiesta el artículo 34.2 párrafo segundo de la Ley 3/2001, de 21 de junio, de Patrimonio de la Comunidad de Madrid.

Corresponde a la Consejería de Justicia, Interior y Víctimas verificar que el concesionario no incurre en los supuestos contemplados en el artículo 71 de la vigente Ley 9/2017, de 8 de noviembre, de Contratos del Sector Público, por la que se transponen al ordenamiento jurídico español las Directivas del Parlamento Europeo y del Consejo 2014/23/UE y 2014/24/UE, de 26 de febrero de 2014, tanto con carácter previo a su otorgamiento como a lo largo de la vida de la concesión, mediante una declaración responsable que con carácter anual deberá presentar el concesionario.

Sexto

De conformidad con lo previsto en el artículo 34.1 de la Ley 3/2001, de 21 de junio, de Patrimonio de la Comunidad de Madrid, se ha emitido informe consultivo y no vinculante por parte de la Dirección General de Patrimonio y Contratación de la Consejería de Hacienda y Función Pública.

A la vista de lo expuesto en virtud del artículo 41 l) de la Ley 1/1983, de 13 de diciembre, de Gobierno y Administración de la Comunidad de Madrid, y en relación con el artículo 33 de la Ley 3/2001, de 21 de junio, de Patrimonio de la Comunidad de Madrid,

DISPONGO

Primero

Objeto y finalidad

Otorgar a i-DE Redes Eléctricas Inteligentes, S. A. U., una concesión administrativa al amparo de la normativa expuesta para la tenencia y mantenimiento de la zona en forma de rectángulo de longitud igual a 2,355 metros y anchura de 1,370 metros (superficie total de 3,22 m2), para el centro de seccionamiento, con acceso libre y directo desde la avenida de Fernando Alonso, número 3, de Alcobendas, en la parcela en la que se ubica el nuevo Parque de Bomberos de la Comunidad de Madrid, en el municipio de Alcobendas, sobre la que la Comunidad de Madrid ostenta el derecho de propiedad por cesión del Ayuntamiento de Alcobendas.

Asimismo, se concede el derecho de paso a las instalaciones para el acceso al centro de transformación durante 24 horas al día, el cual consistirá en el derecho a establecer y mantener en funcionamiento permanente y reglamentario la línea de energía eléctrica, con su aparellaje, conductores de entrada o salida desde el exterior del local, ventilación y demás elementos necesarios para su funcionamiento.

Se adjunta a la presente Orden Anexo con los planos en los que se localiza la zona objeto de la concesión.

Segundo

Duración

La presente concesión administrativa tiene una duración máxima de 75 años, incluidas las prórrogas, de conformidad con lo previsto en el artículo 93.3 de la Ley 33/2003, de 3 de noviembre, de Patrimonio de las Administraciones Públicas, y en el artículo 37.2 de la Ley 3/2001, de 11 de junio, de Patrimonio de la Comunidad de Madrid.

Tercero

Régimen económico

Serán por cuenta del concesionario todos los gastos de conservación y mantenimiento, impuestos y tasas y demás tributos derivados de la tenencia y mantenimiento de la instalación objeto de esta concesión para garantizar el funcionamiento permanente y reglamentario de la línea de energía eléctrica.

Por lo que respecta al devengo de la tasa por el uso privativo del bien de dominio público, no procede la imposición de la misma, de conformidad con el artículo 93.4 de la Ley 33/2003, de Patrimonio de las Administraciones Públicas, debido al carácter esencial y de interés económico general del suministro de energía eléctrica que se presta a través de la instalación objeto de la concesión, y habida cuenta de que el coste del mantenimiento de la instalación y las responsabilidades derivadas de su explotación son con tales que hace irrelevante la utilidad económica del aprovechamiento del dominio público, en el sentido previsto en el artículo 355.2 del Decreto Legislativo 1/2002, de 24 de octubre, por el que se aprueba el texto refundido de la Ley de Tasas y Precios Públicos de la Comunidad de Madrid.

Cuarto

Obligaciones del concesionario

Corresponderá al concesionario el deber de mantener el espacio objeto de la presente concesión en condiciones de seguridad y salubridad, así como el compromiso de utilizar el bien según su naturaleza y de entregarlo en el estado en que se recibe.

Asimismo, el concesionario asumirá el compromiso de obtener, a su costa y con carácter previo, cuántas licencias y permisos requiera el uso del bien o la actividad a realizar sobre el mismo.

Quinto

Responsabilidad por daños

De conformidad con el artículo 92.7.f) de la Ley 33/2003, de 3 de noviembre, corresponderá al concesionario la asunción de la responsabilidad derivada de la ocupación debiendo formalizar la oportuna póliza de seguro, quedando la Comunidad de Madrid exenta de toda responsabilidad.

Sexto

Revocación unilateral de la concesión

La Consejería de Justicia, Interior y Víctimas se reserva, de conformidad con lo previsto en el artículo 33.3 de la Ley 3/2001, de 21 de junio, de Patrimonio de la Comunidad de Madrid, la posibilidad de revocación unilateral de la concesión, por causas de interés público, que será aceptada por el concesionario, debiendo ser resarcido de los daños que se le hayan causado.

Séptimo

Facultad de inspección

La Consejería de Justicia, Interior y Víctimas se reserva la facultad de inspeccionar el bien objeto de concesión, con el fin de garantizar que el mismo es usado de acuerdo con los términos de la concesión.

Octavo

Régimen de subrogación de la concesión

En virtud de lo previsto en el artículo 98 de la Ley 33/2003, de 3 de noviembre, de Patrimonio de las Administraciones Públicas, la concesión podrá ser cedida o transmitida mediante negocios jurídicos entre vivos o por causa de muerte o mediante la fusión, absorción o escisión de sociedades, por el plazo de duración de la concesión, previa autorización de la Consejería de Justicia, Interior y Víctimas, como órgano competente para otorgar la concesión.

Se equipara la transmisión de la concesión a cualquier cambio en la titularidad de las acciones de la sociedad concesionaria que suponga una sustitución de los socios o accionistas que lo sean en el momento del otorgamiento en porcentaje igual o superior al 50 por 100 del capital social.

Noveno

Causas de extinción

La presente concesión administrativa quedará sometida a las siguientes causas de extinción de acuerdo con la normativa patrimonial:

a) El transcurso del plazo salvo que se extinga con anterioridad el derecho de superficie sobre la parcela de acuerdo con el dispositivo segundo.

b) La renuncia del concesionario a su derecho.

c) La desaparición del bien de dominio público sobre el cual se ha otorgado.

d) Uso inadecuado de las instalaciones.

e) La desafectación del bien de dominio público sobre el cual se ha otorgado.

f) El incumplimiento de la finalidad de la concesión.

g) El incumplimiento por parte del concesionario de las obligaciones que para él conlleva la autorización.

h) Incurrir en alguno de los supuestos recogidos en el artículo 71 de la Ley 9/2017, de 8 de noviembre, de Contratos del Sector Público.

i) Cualquier otra causa admitida en Derecho.

Décimo

Formalización de la concesión

Una vez autorizada la presente concesión administrativa, la misma deberá formalizarse en documento administrativo entre la Consejería de Justicia, Interior y Víctimas, e I-DE Redes Eléctricas Inteligentes, S. A. U., de conformidad con lo previsto en el artículo 93.2 de la Ley 33/2003, de 3 de noviembre, de Patrimonio de las Administraciones Públicas, y en el artículo 34.5 de la Ley 3/2001, de 21 de junio, de Patrimonio de la Comunidad de Madrid.

Dicho documento será título suficiente para su inscripción en el Registro de la Propiedad, debiendo ser asumidos por el concesionario los gastos derivados de dicha inscripción.

Undécimo

Remisión a la Dirección General competente en materia de Patrimonio

A efectos de su inclusión en el Inventario General de Bienes y Derechos de la Comunidad de Madrid, en virtud de lo estipulado por el artículo 34.3 de la Ley 3/2001, de 21 de junio, de Patrimonio de la Comunidad de Madrid, la Consejería de Justicia, Interior y Víctimas deberá dar cuenta de la concesión otorgada a ese Centro Directivo.

A tal fin remitirá a la Dirección General competente en materia de Patrimonio, en el plazo máximo de quince días desde su otorgamiento, copia del documento por el que se haya otorgado la concesión o autorización y en el que deben figurar, al menos, los siguientes extremos:

a) Identificación del concesionario o autorizado.

b) Descripción del inmueble.

c) Superficie de suelo y de la construcción, en su caso.

d) Plazo.

e) Condiciones de la concesión o autorización.

Asimismo, cada dos años se remitirá a la Dirección General de Patrimonio un informe en el que se haga constar que continúa en vigor la concesión o autorización administrativa.

Contra esta Orden de otorgamiento de concesión administrativa cabe interponer recurso de reposición ante el Consejero de Justicia, Interior y Víctimas, en el plazo de un mes a contar desde el día siguiente al de su publicación en el BOLETÍN OFICIAL DE LA COMUNIDAD DE MADRID, de acuerdo con lo establecido en los artículos 123 y 124 de la Ley 39/2015, de 1 de octubre; o recurso contencioso-administrativo en el plazo de dos meses a partir también del día siguiente al de su publicación en el BOLETÍN OFICIAL DE LA COMUNIDAD DE MADRID ante el Tribunal Superior de Justicia de Madrid, de acuerdo con lo establecido en el artículo 46 de la Ley 29/1998, de 13 de julio, Reguladora de la Jurisdicción Contencioso-Administrativa.

Madrid, a 22 de diciembre de 2020.—El Consejero de Justicia, Interior y Víctimas, P. D. (Orden 88/2020, de 13 de febrero), el Secretario General Técnico, P. S. (Orden de 14 de diciembre de 2020), la Subdirectora General de Régimen Jurídico y Desarrollo Normativo, Paz Cuesta Pedrajas.

(03/36.415/20)

Nota: El contenido del texto de la disposición que aquí se muestra no es necesariamente exacto y completo. Únicamente la disposición publicada con firma electrónica, en formato PDF, tiene carácter auténtico y validez oficial.

Sección 1.4.103.1: I. COMUNIDAD DE MADRID

Madrid Comunidad Digital
Código de Verificación Electrónica (CVE): BOCM-20210114-18