Boletín Oficial de la Comunidad de Madrid - Núm 99

Fecha del Boletín 
27-04-2022

Sección 3.10.20M: III. ADMINISTRACIÓN LOCAL AYUNTAMIENTOS


Código de Verificación Electrónica (CVE): BOCM-20220427-35

Páginas: 7


III. ADMINISTRACIÓN LOCAL

AYUNTAMIENTO DE MÓSTOLES

URBANISMO

35
Móstoles. Urbanismo. Plan especial segregación parcela

La Corporación en Pleno, en su sesión celebrada el día 24 de marzo de 2022, adoptó, entre otros, los siguientes acuerdos:

«Resolver lo siguiente:

Primero.—Aprobar definitivamente el documento del Plan Especial para segregación de parcela en la calle Magnolio, número 1, de la urbanización Parque Coímbra en Móstoles, Madrid

Segundo.—Publicar esta aprobación definitiva en el BOLETÍN OFICIAL DE LA COMUNIDAD DE MADRID en los términos previstos en el artículo 66 de la LSCM. Notificar el acuerdo a los interesados y dar traslado al Área de Patrimonio y a la Concejalía de Hacienda.

Determinaciones urbanísticas

1. Ámbito del Plan Especial

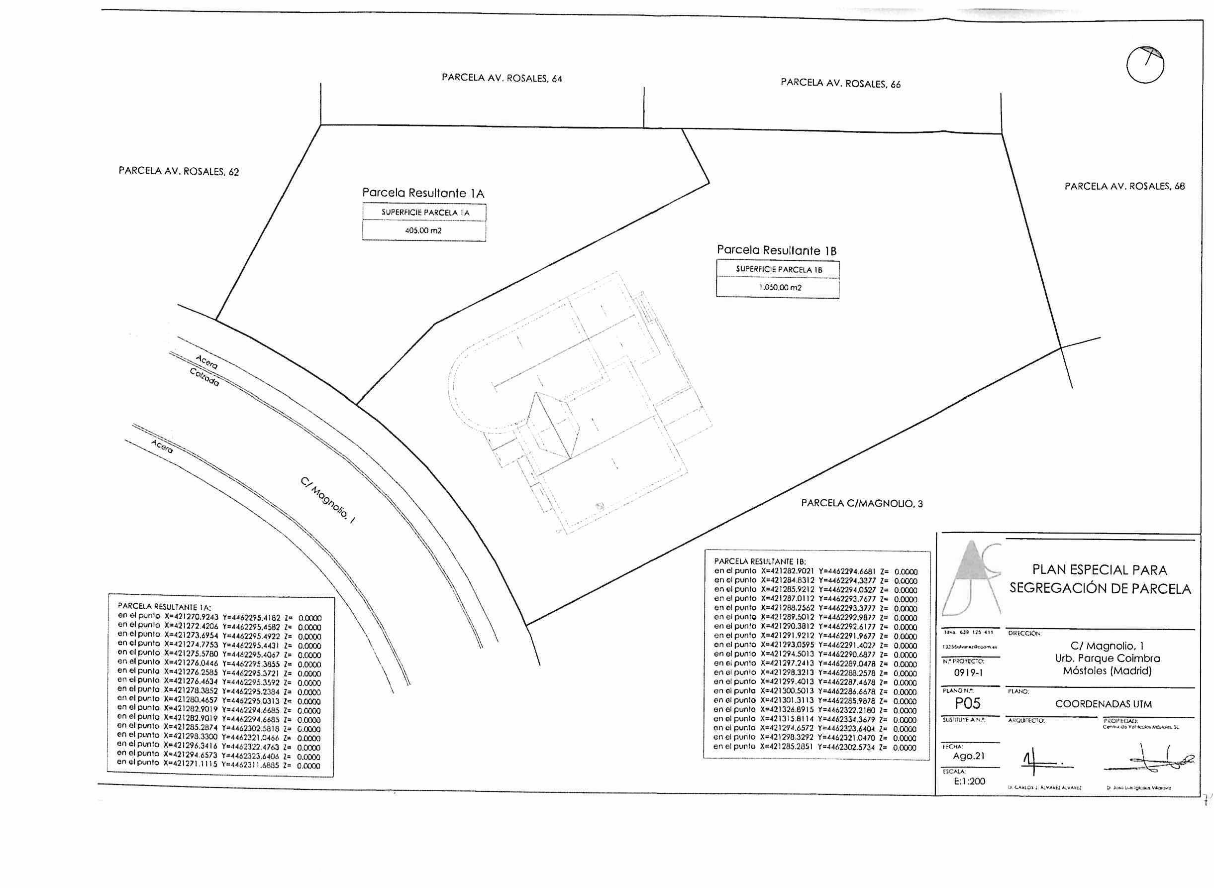
El ámbito del presente Plan Especial se corresponde con la parcela situada en la calle Magnolio, número 1, de la urbanización Parque Coímbra del municipio de Móstoles (Madrid), con referencia catastral: 1425926VK2612N0001JH, donde consta una superficie de suelo de 1.455. De acuerdo con levantamiento topográfico reciente, la parcela tiene una superficie de 1.455 m2 de suelo, que es la que se considera como ámbito en el presente documento.

2. Objeto del Plan Especial

El objeto del Plan Especial es la segregación de la parcela situada en la calle Magnolio, número 1, en dos parcelas de 405 y 1.050 m2 de suelo respectivamente. Es decir, se trata de un solar urbano en el que el Plan General permite su división, pero mediante la tramitación de un documento urbanístico de desarrollo, para garantizar que se mantiene el uso y la tipología residencial que sigue siendo vivienda unifamiliar aislada y que no se aumenta la edificabilidad que se mantiene en 0,3 m2/m2.

La justificación de su elaboración parte de lo establecido por la ordenanza ZU-R3.Grado 2.o del vigente Plan General, que exige que para parcelas con superficie superior a 600 m2 a subdivisión deberá tramitarse con un Plan Especial que analice el impacto de las nuevas viviendas resultantes, que es el objeto del presente documento.

Se ha calculado que la superficie construida actual es de 439,95 m2c, de los cuales computan, a efectos del cómputo de edificabilidad, tan solo 266,65 m2c. Por tanto, dado que la edificabilidad máxima es: 1.455 ´ 0,3 = 436,5 m2c, restan 169,85 m2c no consumidos. La edificabilidad se reparte entre las parcelas del siguiente modo:

— Parcela resultante 1A: 405 m2 suelo y 121,50 m2 construidos.

— Parcela resultante 1B: 1.050 m2 suelo y 315 m2 construidos.

Resumen de determinaciones urbanísticas del Plan Especial

El Plan Especial plantea la segregación en dos parcelas de 405 y 1.050 m2 de suelo respectivamente.

Superficie total: 1.455 m2.

Uso predominante: residencial unifamiliar libre.

Tipología de vivienda: unifamiliar aislada.

Edificabilidad: 0,3 m2/m2:

— Parcela 1A: 405 ´ 0,3 = 121,5 m2c.

— Parcela 1B: 1.050 ´ 0,3 = 315 m2c.

Ocupación máxima: 50 %.

Retranqueos: 3 metros a todos los linderos.

Aparcamientos: la dotación mínima establecida por el artículo VIII.8.2.2.1 de las Normas Urbanísticas Generales del Plan General es de 1,5 plazas de aparcamientos por cada 100 m2c, que deberá resolverse en el interior de la parcela. Esto supone 2 plazas en la parcela 1A y 4 en la parcela 1B, y no 2 como refleja la Memoria del documento en la página 23. Se corrige por los servicios técnicos municipales.

Se estará a lo dispuesto por el artículo III.3.4.de las Normas urbanísticas Generales del Plan General sobre medición de la superficie computable a efectos de edificabilidad. Por ser esta una determinación estructurante.

El proyecto de ejecución resolverá las acometidas a las parcelas de los servicios urbanísticos municipales que se ejecutarán con cargo al promotor de la parcela.

La ordenanza de aplicación para las parcelas resultantes del Plan Especial que se redacta será la ZU-R3 - Magnolio, 1.

Se asume lo dispuesto en las Normas urbanísticas del PGOU de Móstoles, y en concreto, a la ordenanza particular ZU-R3, Grado 2º, de aplicación a las parcelas resultantes del presente Plan Especial, salvo lo especificado en el resto de apartados del presente documento:

— Las determinaciones estructurantes serán la edificabilidad original (0,3 m2/m2) de la parcela matriz, tal y como se indica en el apartado 8.3 de la Memoria del presente Plan Especial.

— La altura máxima a alero no viene definida en la ordenanza particular ZU-R3, por lo que se ha considerado una altura de 8,00 m a alero, como determinación pormenorizada del presente plan.

— El número de plazas de aparcamiento en función de la edificabilidad máxima permitida será 2 plazas en la parcela 1A y 4 en la parcela 1B, cumpliendo la reserva de 1,5 plazas por cada 100 m2 exigidos.

— El resto de condiciones urbanísticas son las dispuestas en la ordenanza particular ZU-R3, Grado 2.o, para cada una de las parcelas resultantes del presente Plan Especial.

El resumen de condiciones urbanísticas de la ordenanza ZU-R3 - Magnolio, 1, es el siguiente:

— Tipología: unifamiliar aislada.

• Parcela resultante 1A: 405 m2 suelo y 121,50 m2 construidos.

• Parcela resultante 1B: 1.050 m2 suelo y 315 m2 construidos.

— Frente mínimo de parcela: 11 m.

— Retranqueos:

• A calle: 3 m.

• A linderos laterales: 3 m.

• A lindero posterior: 3 m.

— Ocupación máxima: 50 %.

— Edificabilidad máxima: 0,3 m2/m2.

— Altura máxima (a alero): 8,00 m.

— Número de plantas: II + A.

Se reservará 1,5 plazas de aparcamiento por cada 100 m2c en el interior de la parcela, en cuanto a la demanda de plazas de aparcamiento para los usos compatibles en edificio exclusivo y compatibles compartidos.

La edificabilidad máxima se considera determinación estructurante del Plan Especial.

Parcela matriz

Superficie de terreno: 1.455,00 m2.

Linderos:

— Al norte, en línea recta de 50,12 m, con las parcelas de la avenida de los Rosales, 64 y 66.

— Al oeste, en línea recta de 16,27 m, con la parcela de la avenida de los Rosales, 62.

— Al sur, en línea recta de 44,35 m, con la parcela de la calle Magnolio, 3, y en línea curva de 32,63 m, con el acceso por la calle Magnolio, 1.

— Al este, en línea recta de 16,44 m, con la parcela de la avenida de los Rosales, 68.

Parcelas resultantes

1. Parcela resultante 1A:

Superficie de la parcela 1A: 405,00 m2.

Linderos:

— Al norte, en línea recta de 26,40 m; 23,63 m con la parcela de la avenida de los Rosales, 64, y 2,77 m con la parcela de la avenida de los Rosales, 66.

— Al oeste, en línea recta de 16,27 m, con la parcela de la avenida de los Rosales, 62.

— Al sur, en línea recta de 8,26 m y 22,63 m, con la parcela resultante 1B, y en línea curva de 12,02 m con el acceso por la calle Magnolio, 1.

— Al este, en línea recta de 4,50 m, con la parcela resultante 1B.

2. Parcela resultante 1B:

Superficie de la parcela 1B: 1.050,00 m2.

Linderos:

— Al norte, en línea recta de 23,72 m, con la parcela de la avenida de los Rosales, 66, y en línea recta de 8,26 m y 22,63, con la parcela resultante 1A.

— Al oeste, en línea recta de 4,50, con la parcela resultante 1A.

— Al sur, en línea curva de 20,61 m, con el acceso por la calle Magnolio, 1.

— Al este, en línea recta de 16,44 m, con la parcela de la avenida de los Rosales, 68».







Móstoles, a 6 de abril de 2022.—La concejal de Presidencia y Desarrollo Urbano, María Luisa Ruiz González.

(02/7.692/22)

Nota: El contenido del texto de la disposición que aquí se muestra no es necesariamente exacto y completo. Únicamente la disposición publicada con firma electrónica, en formato PDF, tiene carácter auténtico y validez oficial.

Sección 3.10.20M: III. ADMINISTRACIÓN LOCAL AYUNTAMIENTOS

Madrid Comunidad Digital
Código de Verificación Electrónica (CVE): BOCM-20220427-35