Boletín Oficial de la Comunidad de Madrid - Núm 84

Fecha del Boletín 
10-04-2023

Sección 3.10.20M: III. ADMINISTRACIÓN LOCAL AYUNTAMIENTOS


Código de Verificación Electrónica (CVE): BOCM-20230410-59

Páginas: 4


III. ADMINISTRACIÓN LOCAL

AYUNTAMIENTO DE MÓSTOLES

URBANISMO

59
Móstoles. Urbanismo. Plan especial

La Corporación en Pleno, en su sesión celebrada el día 23 de febrero de 2.023 adoptó entre otros los siguientes acuerdos:

Resolver lo siguiente:

Primero.—Aprobar definitivamente el documento del Plan Especial para segregación de parcela en la avenida de los Rosales 60 de la Urbanización Parque Coímbra en Móstoles, Madrid, solicitada por D.a María Teresa Limones González y D. Ángel Ballesteros Perals.

Segundo.—Publicar esta aprobación definitiva en el BOLETÍN OFICIAL DE LA COMUNIDAD DE MADRID en los términos previstos en el artículo 66 de la LSCM. Notificar el Acuerdo a los interesados y dar traslado a la Concejalía de Hacienda.

Determinaciones Urbanísticas

1. Ámbito del Plan Especial

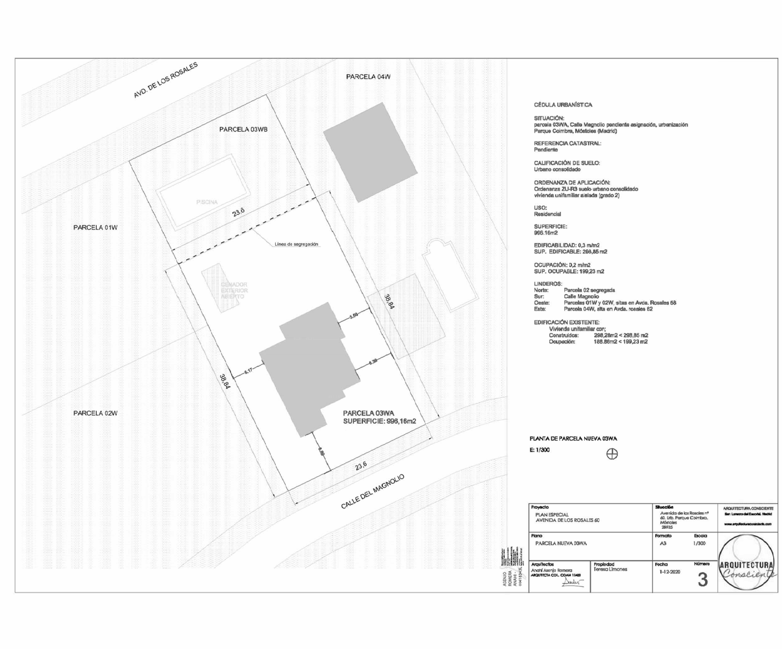
El ámbito del presente Plan Especial, se corresponde con la parcela situada en Avenida de los Rosales, número 60 de la urbanización Parque Coímbra del municipio de Móstoles (Madrid) con referencia catastral: 1425903VK2612N0001WH, con una superficie de 1.333, 00 m2s.

La parcela también tiene acceso por la calle Magnolio sin que conste número de policía actualmente. El Plan Especial adopta como superficie de la parcela 1.333,81 m2 de suelo.

2. Objeto del Plan Especial

El objeto del Plan Especial es la segregación de la parcela situada en la avenida de los Rosales 60 en dos parcelas de 996,16 m2 y de 337,65 m2 respectivamente lo que supone una superficie de 1333,81 m2s. Es decir, se trata de un solar urbano en el que el Plan General permite su división, pero mediante la tramitación de un documento urbanístico de desarrollo, para garantizar que se mantiene el uso y la tipología residencial que sigue siendo vivienda unifamiliar aislada y que no se aumenta la edificabilidad que se mantiene en 0,3 m2/m2.

La justificación de su elaboración parte de lo establecido por la Ordenanza ZU-R3.Grado 2.o del vigente Plan General que exige que para parcelas con superficie superior a 600 m2 la subdivisión deberá tramitarse con un Plan Especial que analice el impacto de las nuevas viviendas resultantes, que es el objeto del presente documento.

Resumen de Determinaciones Urbanísticas del Plan Especial

El Plan Especial plantea la segregación de la parcela situada en la avenida de los rosales 60 en dos de 996,16 m2 y de 337,65 m2 respectivamente (en total 1.333,81 m2s), con las siguientes determinaciones urbanísticas para las parcelas resultantes:

Superficie total: 1.333,81.

Uso predominante residencial: unifamiliar libre. Ordenanza ZU-R3.

Tipología de vivienda: unifamiliar aislada.

Edificabilidad: 0,3 m2/ m2.

Parcela 03WA: 996,16 m2s ´ 0,3 = 298,84 m2c.

Parcela 03WB: 337,65 m2s ´ 0,3 = 102 m2c.

Fachada mínima: 11 metros.

Parcela 03WA: Ocupación 30%.

Parcela 03WB: Ocupación 50%.

Retranqueos 3 m a todos los linderos en ambas parcelas.

Aparcamientos: la dotación mínima establecida por el artículo VIII.8.2.2.1 de las Normas Urbanísticas Generales del Plan General es de 1,5 plazas de aparcamientos por cada 100 m2c, que deberá resolverse en el interior de la parcela. Esto supone 4 plazas en la parcela 03WA y 2 en la parcela 03WB.

Se estará a lo dispuesto por el artículo III.3.4 de las Normas urbanísticas Generales del Plan General sobre medición de la superficie computable a efectos de edificabilidad. Por ser esta una determinación estructurante.

El proyecto de ejecución resolverá las acometidas a las parcelas de los servicios urbanísticos municipales que se ejecutarán con cargo al promotor de la parcela.



Móstoles, a 21 de marzo de 2023.—La concejal de Presidencia y Desarrollo Urbano, Marisa Ruiz González.

(02/5.151/23)

Nota: El contenido del texto de la disposición que aquí se muestra no es necesariamente exacto y completo. Únicamente la disposición publicada con firma electrónica, en formato PDF, tiene carácter auténtico y validez oficial.

Sección 3.10.20M: III. ADMINISTRACIÓN LOCAL AYUNTAMIENTOS

Madrid Comunidad Digital
Código de Verificación Electrónica (CVE): BOCM-20230410-59