Boletín Oficial de la Comunidad de Madrid - Núm 267

Fecha del Boletín 
09-11-2023

Sección 1.4.106.1: I. COMUNIDAD DE MADRID


Código de Verificación Electrónica (CVE): BOCM-20231109-2

Páginas: 5


I. COMUNIDAD DE MADRID

D) Anuncios

CONSEJERÍA DE EDUCACIÓN, CIENCIA Y UNIVERSIDADES

2
CONVENIO de colaboración de 27 de octubre de 2023, entre el Ayuntamiento de Madrid (Área de Gobierno de Urbanismo, Medio Ambiente y Movilidad) y la Comunidad de Madrid (Consejería de Educación, Ciencia y Universidades), para la cesión gratuita de la titularidad de la parcela municipal situada en la avda. de Secundino Zuazo, número 123, Distrito de Hortaleza, con destino a un Instituto de Educación Secundaria (Expediente 711/22/03775).

COMPARECEN

De una parte: Don Borja Carabante Muntada, Delegado del Área de Gobierno de Urbanismo, Medio Ambiente y Movilidad del Ayuntamiento de Madrid, cargo para el que fue nombrado por Decreto del Alcalde de 17 de junio de 2023, en nombre y representación del Ayuntamiento de Madrid, en virtud de las competencias delegadas en el Apartado 3.o.1.1.8. del Acuerdo de la Junta de Gobierno de la Ciudad de Madrid de 29 de junio de 2023, por el que se delegan competencias en los titulares de los Órganos Superiores y Directivos del Área de Gobierno Urbanismo, Medio Ambiente y Movilidad.

El Delegado del Área de Gobierno de Urbanismo, Medio Ambiente y Movilidad, en virtud de lo dispuesto en el Apartado 3.o punto 1.1.8 del Acuerdo de la Junta de Gobierno de la Ciudad de Madrid de 29 de junio de 2023 de Organización y Competencias del Área de Gobierno de Urbanismo, Medio Ambiente y Movilidad, tiene la competencia para celebrar convenios con otras administraciones y entidades públicas y privadas para el desarrollo de la ejecución de las competencias del Área de Gobierno, y de conformidad con lo señalado en el mismo Apartado 3.o, punto 6.1.c), tiene la facultad de adquirir, enajenar, permutar, arrendar y acordar la cesión gratuita y demás negocios jurídicos patrimoniales sobre bienes inmuebles del Patrimonio Municipal del Suelo.

De otra parte: El Excmo. Sr. D. Emilio Viciana Duro, Consejero de Educación, Ciencia y Universidades de la Comunidad de Madrid, en virtud de nombramiento efectuado por Decreto 45/2023, de 23 de junio, de la Presidenta de la Comunidad de Madrid, y de conformidad con las competencias atribuidas por el artículo 41.a) de la Ley 1/1983 de diciembre, de Gobierno y Administración de la Comunidad de Madrid, el artículo 4 de la Ley 8/1999, de 9 de abril de adecuación de la normativa de la Comunidad de Madrid a la Ley 4/1999 y el artículo 3 del Decreto 48/2019, de 10 de junio, del Consejo de Gobierno, por el que se aprueban criterios de coordinación de la actividad convencional de la Comunidad de Madrid.

Las partes, reconociéndose la capacidad legal necesaria para la comparecencia y firma del presente Convenio para la cesión de la titularidad de la parcela municipal para la construcción de un Instituto de Educación Secundaria, por razón de los cargos que ostentan, y asegurando los comparecientes la vigencia y suficiencia de sus respectivas facultades, al efecto,

EXPONEN

I. Que mediante Decreto 38/2023, de 23 de junio, de la Presidenta de la Comunidad de Madrid, por el que se establece el número y denominación de las Consejerías de la Comunidad de Madrid, corresponden a la Consejería de Educación, Ciencia y Universidades las competencias atribuidas a la anterior Vicepresidencia, Consejería de Educación y Universidades y entre ellas, la programación de las inversiones y equipamientos educativos.

II. Que la Dirección General de Infraestructuras y Servicios de la Consejería de Educación, Universidades, Ciencia y Portavocía de la Comunidad de Madrid dirigió escrito de fecha 16 de febrero de 2022, al Área de Gobierno de Desarrollo Urbano del Ayuntamiento de Madrid, manifestando su interés sobre la parcela municipal situada en la Avenida de Secundino Zuazo número 123, en el ámbito del UNP.4.1 “Ciudad Aeroportuaria-Parque de Valdebebas”, Distrito de Hortaleza, al considerar que es la que reúne las mejores condiciones para la construcción de un Instituto de Educación Secundaria en el Barrio de Valdebebas.

III. Que, a tal efecto, mediante Decreto del Director General de Gestión Urbanística de 17 de marzo de 2022 se dispuso el inicio de las actuaciones necesarias para la suscripción del Convenio para la cesión gratuita de la titularidad de la parcela municipal número 28.335 del Inventario del Patrimonio Municipal del Suelo, situada en la Avenida de Secundino Zuazo número 123, Distrito de Hortaleza, a favor de la Comunidad de Madrid, como órgano competente en materia educativa, para su destino a Instituto de Educación Secundaria, todo ello de conformidad con lo dispuesto en Art. 178.1.d) de la Ley del Suelo de la Comunidad de Madrid.

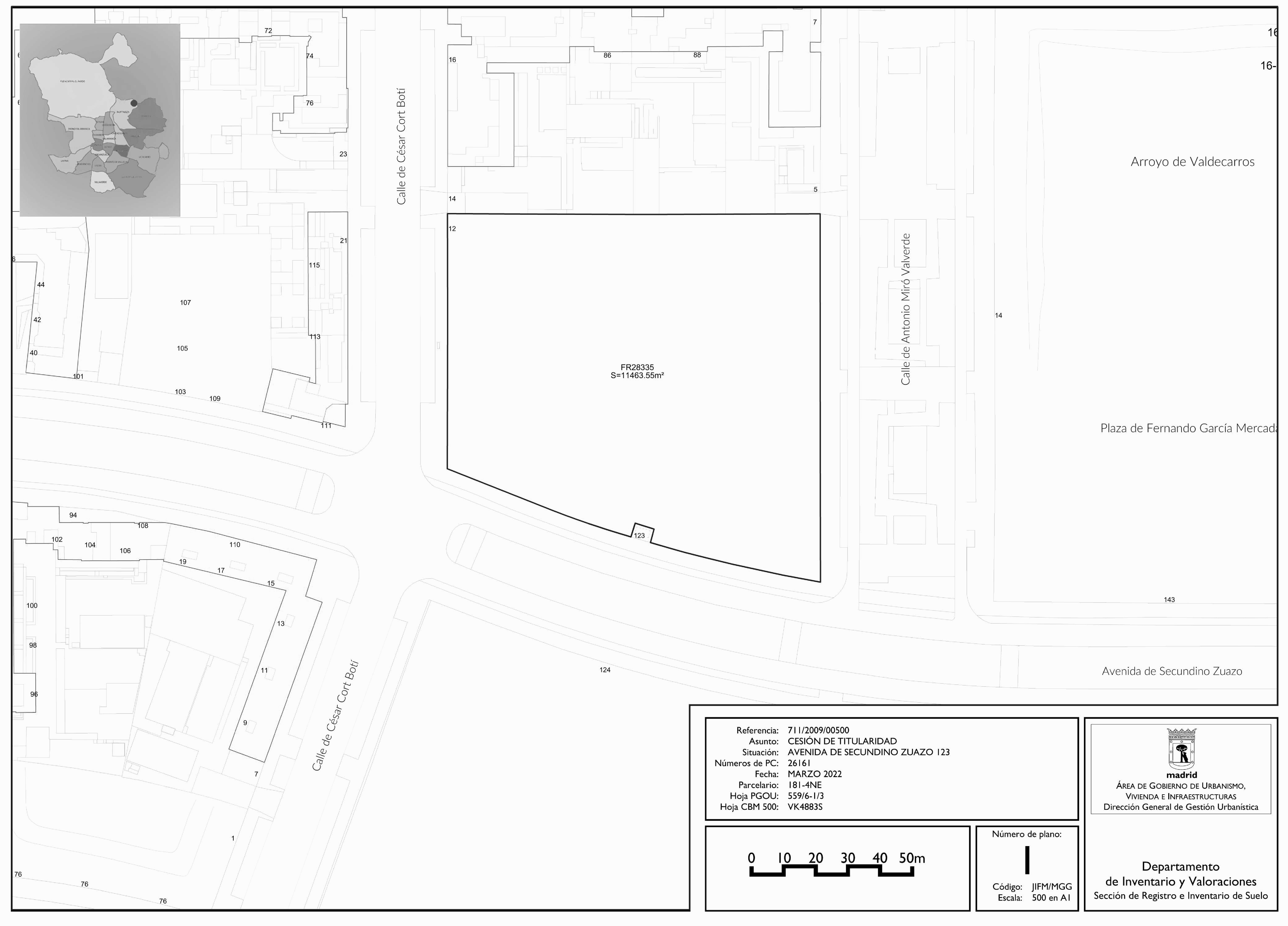
IV. Las características de la parcela sobre la que el Ayuntamiento de Madrid ostenta el pleno dominio, son:

— Situación: Parcela de terreno situada en la Avenida de Secundino Zuazo número 123, Distrito de Hortaleza, en el ámbito del UNP 4.1 “Ciudad Aeroportuaria-Parque de Valdebebas”.

— Forma y superficie: Polígono irregular con una superficie de 11.463,55 m2.

— Descripción de linderos:

• Este: línea recta de 114,36 metros con la calle de Antonio Miró Valverde.

• Norte: línea recta de 57,90 metros con la Parcela RES.03-134-A, de 26,80 metros con la Parcela RES.03-134-B y de 29,50 metros con la Parcela RES.03-134-C destinadas a uso residencial.

• Oeste: línea recta de 79,18 metros con la Calle de César Cort Botí.

• Sur: línea curva con un desarrollo de 59,32 metros con la Avenida de Secundino Zuazo, línea poligonal de 19,00 metros con la Parcela DOT.22 destinada a uso dotacional y línea curva con un desarrollo de 53,19 metros con la Avenida de Secundino Zuazo.

— Situación patrimonial y registral: Titularidad municipal, obtenida en virtud del Proyecto de Reparcelación Económica del UNP.4.01 “Ciudad aeroportuaria-Parque de Valdebebas”, que fue aprobado por acuerdo de la Junta de Gobierno de la Ciudad de Madrid, adoptado en sesión de 11 de octubre de 2018.

Figura incluida en el Inventario del Patrimonio municipal del Suelo, con el número de parcela 28.335.

Figura inscrita a favor del Ayuntamiento de Madrid con el número 42.286 de finca registral, tomo 2.306, libro 1.162, folio 220, inscripción 2.a, del Registro de la Propiedad de Madrid número 12.

— Situación urbanística: Calificada de Dotacional Servicios Colectivos Equipamiento Básico.

— Cargas: Sin cargas.

— Valoración: La valoración se realiza conforme al R.D.1373/2009, de 28 de agosto por el que se aprueba el Reglamento General de la Ley 33/2003, de 3 de noviembre de Patrimonio de las Administraciones Públicas.

Asciende a la cantidad de ocho millones ochocientos cuarenta mil novecientos veintiocho euros con veinte céntimos (8.840.928,20 euros).

Por todo cuanto antecede, las partes intervinientes acuerdan suscribir el presente Convenio, con arreglo a las siguientes:

CLÁUSULAS

Primera

Objeto

El Ayuntamiento de Madrid (Área de Gobierno de Urbanismo, Medio Ambiente y Movilidad), cede mediante el presente Convenio con carácter gratuito, a la Comunidad de Madrid (Consejería de Educación, Ciencia y Universidades), que se compromete a aceptar, la titularidad de la parcela municipal, descrita anteriormente, de 11.463,55 m2 de superficie, incluida en el Inventario del Patrimonio Municipal del Suelo con el número 28.335 de parcela, situada en la Avenida de Secundino Zuazo número 123, para la construcción y gestión de un Instituto de Educación Secundaria, con cuantos derechos sean accesorios e inherentes y libre de cargas.

Segunda

Compromiso de la Comunidad de Madrid

La Comunidad de Madrid (Consejería de Educación, Ciencia y Universidades), como Administración competente en materia educativa, se compromete a destinar la parcela a la construcción de un Instituto de Educación Secundaria.

Tercera

Licencia municipal, inicio y finalización de las obras

La licencia municipal de obra de nueva edificación se deberá solicitar, conforme a las determinaciones de la normativa urbanística aplicable y a lo dispuesto en la Ordenanza de Tramitación de Licencias Urbanísticas, en el plazo máximo de 6 meses, a contar desde la aceptación de la cesión por parte del titular de la Consejería de Economía, Hacienda y Empleo. El inicio y finalización de las obras se realizarán en el plazo fijado en la correspondiente licencia. De no contener la licencia indicación expresa sobre dichos plazos, se deberán observar los de un año para iniciar las obras y tres para la terminación de éstas a contar desde la obtención de dicha licencia.

En cualquier caso, el plazo para la ejecución de la obra y puesta en funcionamiento del Instituto de Educación Secundaria no podrá exceder, excepto causa de fuerza mayor, de cinco años contados a partir de la fecha de entrega de la parcela que se producirá con la aceptación de la cesión por parte del titular de la Consejería de Economía, Hacienda y Empleo.

Cuarta

Deber de conservación de la Comunidad de Madrid

De conformidad con lo dispuesto en el Art. 168.1 de la Ley 9/2001 de 17 de julio, de Suelo de la Comunidad de Madrid y en el Art. 2.2.4 y siguientes de las NN.UU. del PGOUM/97, la Comunidad de Madrid (Consejería de Educación, Ciencia y Universidades), deberá mantener la parcela y la construcción en condiciones de seguridad, salubridad, ornato público y decoro, realizando los trabajos y obras precisas para conservarlos y rehabilitarlos.

Quinta

Eficacia del convenio

El presente Convenio, firmado por las partes intervinientes, adquirirá eficacia una vez aprobado por el órgano competente de cada Administración interviniente:

En el caso del Ayuntamiento de Madrid, su aprobación se produce con la firma del presente Convenio por el Delegado del Área de Gobierno de Urbanismo, Medio Ambiente y Movilidad, de conformidad con las competencias que le han sido conferidas por el Apartado 3.1.1.8 de Organización y Competencias del Acuerdo de 29 de junio de 2023 de la Junta de Gobierno de la Ciudad de Madrid, de organización y competencias del Área de Gobierno de Urbanismo, Medio Ambiente y Movilidad.

En el caso de la Comunidad de Madrid, se actuará conforme a lo previsto en los Artículos 14 y 40 de la Ley 3/2001, de 21 de junio, de Patrimonio de la Comunidad de Madrid, referente a la adquisición de bienes y derechos a título gratuito.

La eficacia de lo acordado en el Convenio queda condicionada a la aceptación por parte del titular de la Consejería de Economía, Hacienda y Empleo, que deberá producirse en el plazo de 6 meses a partir de la firma del Convenio, debiendo notificarse este extremo al Ayuntamiento de Madrid.

Sexta

Inscripción en el Registro de la Propiedad

La inscripción en el Registro de la Propiedad de la cesión de titularidad se efectuará en el plazo de 3 meses desde la aceptación de la cesión por parte del titular de la Consejería de Economía, Hacienda y Empleo, tras la firma del Convenio, que será acreditada mediante Certificación Administrativa. Todos los gastos en los que pudiera incurrirse serán por cuenta y cargo de la Comunidad de Madrid.

Séptima

Exención del Impuesto sobre el Valor Añadido

A los efectos de la fiscalidad del presente negocio jurídico, conforme a lo señalado en el artículo 7.8.o, de la Ley 37/1992, de 28 de diciembre, del Impuesto sobre el Valor Añadido, la operación no está sujeta al referido impuesto, al no existir contraprestación.

Octava

Carácter del convenio a efectos patrimoniales

El presente Convenio tiene carácter patrimonial al recaer sobre un bien inscrito en Inventario del Patrimonio Municipal del Suelo, en los términos establecidos en la Ley 9/2001 de 17 de julio de Suelo de la Comunidad de Madrid y la Ley 33/2003 de 3 de noviembre de Patrimonio de las Administraciones Públicas.

Novena

Características de la cesión

La cesión de la titularidad de la parcela educativa, conforme a lo previsto en el artículo 178.1.d) de la Ley 9/2001, de 17 de julio, del Suelo de la Comunidad de Madrid, tiene carácter directo y gratuito al realizarse a favor de la Comunidad de Madrid como Administración Pública competente en materia educativa y en relación con los fines para los que se concede. Por tal motivo, no podrá ser trasmitida a un tercero.

El incumplimiento del destino al que queda afecta la parcela municipal que se cede, de los plazos señalados y de las demás obligaciones establecidas y aceptadas en el presente Convenio, facultará al Ayuntamiento de Madrid a su resolución, recuperando el Ayuntamiento el pleno dominio sobre la parcela sin que se produzca ningún derecho a indemnización a favor de la Comunidad de Madrid (Consejería de Educación, Ciencia y Universidades).

Esta Condición Resolutoria deberá ser inscrita en el Registro de la Propiedad, según prescribe el Real Decreto Legislativo 7/2015, de 30 de octubre, por el que se aprueba el Texto Refundido de la Ley del Suelo y Rehabilitación Urbana en su artículo 52 apartados 3 y 4.a).

Décima

Legislación aplicable al convenio

En lo no previsto en el presente convenio, se estará a lo dispuesto en la Ley 9/2001, de 17 de julio, del Suelo de la Comunidad de Madrid, en la Ley 33/2003, de 3 de noviembre, del Patrimonio de las Administraciones Públicas y su legislación de desarrollo, en el Reglamento de Bienes de las Entidades Locales aprobado por Real Decreto 1372/1986, de 13 de junio y en las normas institucionales de cada Administración firmante. Será igualmente de aplicación, la Ley 3/2001 de 21 de junio, de Patrimonio de la Comunidad de Madrid.

Serán de aplicación los principios de la Ley 9/2017, de 8 de noviembre, de Contratos del Sector Público, por la que se transponen al ordenamiento jurídico español, las Directivas del Parlamento Europeo y del Consejo 2014/23/UE y 2014/24/UE, de 26 de febrero de 2014, para resolver las dudas y lagunas que pudieran presentarse.

Serán de aplicación las Normas del Código Civil.

En lo no previsto en la legislación anterior será de aplicación el resto de legislación básica y de desarrollo que además de la expresamente señalada pudiera resultar aplicable con carácter preferente a las normas de Derecho Civil.

En prueba de conformidad las partes intervinientes firman el presente Convenio con el Plano anexo.

Madrid, a 27 de octubre de 2023.—El Delegado del Área de Gobierno de Urbanismo, Medio Ambiente y Movilidad, Borja Carabante Muntada.—El Consejero de Educación, Ciencia y Universidades, Emilio Viciana Duro.

(03/18.351/23)

Nota: El contenido del texto de la disposición que aquí se muestra no es necesariamente exacto y completo. Únicamente la disposición publicada con firma electrónica, en formato PDF, tiene carácter auténtico y validez oficial.

Sección 1.4.106.1: I. COMUNIDAD DE MADRID

Madrid Comunidad Digital
Código de Verificación Electrónica (CVE): BOCM-20231109-2